Jump to content
  • Member Statistics

    18,303
    Total Members
    7,904
    Most Online
    happyclam13
    Newest Member
    happyclam13
    Joined

Recommended Posts

Only positive is that Melissa might be far enough west to keep Kingston area out of the eyewall winds and the south coast of Jamaica isn't that surge prone. Biggest threat has been and continues to be the flooding as hazwoper just mentioned. Farther west track unfortunately subjects more of the island to very high rainfall totals and the NNE trajectory is unfortunately very favorable to squeezing out the moisture via orographic lifting.

  • Like 2
  • 100% 1
Link to comment
Share on other sites

1 minute ago, dan11295 said:

Only positive is that Melissa might be far enough west to keep Kingston area out of the eyewall winds and the south coast of Jamaica isn't that surge prone. Biggest threat has been and continues to be the flooding as hazwoper just mentioned. Farther west track unfortunately subjects more of the island to very high rainfall totals and the NNE trajectory is unfortunately very favorable to squeezing out the moisture via orographic lifting.

There’s resorts on the west part of the island too. Might be worse vs where it’s currently forecasted to go. 

Link to comment
Share on other sites

BULLETIN
Hurricane Melissa Intermediate Advisory Number 22A
NWS National Hurricane Center Miami FL       AL132025
800 PM EDT Sun Oct 26 2025
 
...LIFE-THREATENING AND CATASTROPHIC FLASH FLOODING AND LANDSLIDES
EXPECTED IN PORTIONS OF JAMAICA AND SOUTHERN HISPANIOLA THROUGH
MIDWEEK WITH HURRICANE FORCE WINDS LIKELY TO BEGIN TOMORROW...
 
 
SUMMARY OF 800 PM EDT...0000 UTC...INFORMATION
----------------------------------------------
LOCATION...16.4N 77.3W
ABOUT 115 MI...185 KM SSW OF KINGSTON JAMAICA
ABOUT 295 MI...475 KM SSW OF GUANTANAMO CUBA
MAXIMUM SUSTAINED WINDS...145 MPH...230 KM/H
PRESENT MOVEMENT...W OR 270 DEGREES AT 5 MPH...7 KM/H
MINIMUM CENTRAL PRESSURE...933 MB...27.55 INCHES
Link to comment
Share on other sites

40 minutes ago, WxSynopsisDavid said:

Which presents an even more dire situation for those dense coastal areas. Based on a more west track, storm surge would be maximized. No matter the scenario or potential tracks left on the table, each one is catastrophic or devastating for Jamaica. Also, a more west track increases the likelihood of a peak intensity landfall being it will be over warmer waters longer.

That is true. As far as intensity and surge impacts but the more west it goes the more rural areas the core of hurricane will impact. However the surge and extreme rainfall impacts will still be impactful well east into more populated areas. 

Link to comment
Share on other sites

i hope all those homophobes drown 

You might want to sit this one out. I by no means support any type of homophobic behavior but this is an absolutely disgusting post. This is an extremely dangerous storm and there is a good chance people will die.


.
  • Like 8
  • 100% 4
Link to comment
Share on other sites

27 minutes ago, hawkeye_wx said:

Latest recon pass found 128 kts flight level in the right quad, so that has been pretty steady. 

Seems like pressure has been steadily dropping all day but winds struggling to catch up. Based on these pressures and satellite look I would think this would be cat 5 now but feel like something has been holding back the winds some. 

Link to comment
Share on other sites

9 hours ago, olafminesaw said:

Could be a little bit of upwelling too. She's been crawling along

 It isn’t just upwelling that cools the waters at or near where a hurricane crosses: it also cools due to the conservation of energy (potential energy from warm water transitions to kinetic (wind) energy of the storm/heat engine), cooling from raindrops (I assume this factor is relatively minor), and cooling from cloudcover blocking the sun:

Hurricanes cool the ocean by acting like "heat engines" that transfer heat from the ocean surface to the atmosphere through evaporation. 

Cooling is also caused by upwelling of cold water from below due to the suction effect of the low-pressure center of the storm.

Additional cooling may come from cold water from raindrops that remain on the ocean surface for a time. 

Cloud cover may also play a role in cooling the ocean by shielding the ocean surface from direct sunlight before and slightly after the storm passage.

All these effects can combine to produce a dramatic drop in sea surface temperature over a large area in just a few days.

https://earthobservatory.nasa.gov/images/6223/passing-of-hurricanes-cools-entire-gulf#:~:text=Hurricanes cool the ocean by,pressure center of the storm

Link to comment
Share on other sites

Yep.  a bit of southerly component this evening.  Also, it appears to have increased its forward speed a bit.
Small chance Melissa gets far enough west before re-curving and just misses Jamaica to the west if this movement persist a bit longer than expected. 

That would be incredible.
  • Like 1
Link to comment
Share on other sites

40 minutes ago, Wild Weather Monger said:

Yep.  a bit of southerly component this evening.  Also, it appears to have increased its forward speed a bit.

Small chance Melissa gets far enough west before re-curving and just misses Jamaica to the west if this movement persist a bit longer than expected. 

Model consensus is sold on it moving NNE into western Jamaica. These wobbles aren't uncommon and will correct themselves. 

Link to comment
Share on other sites

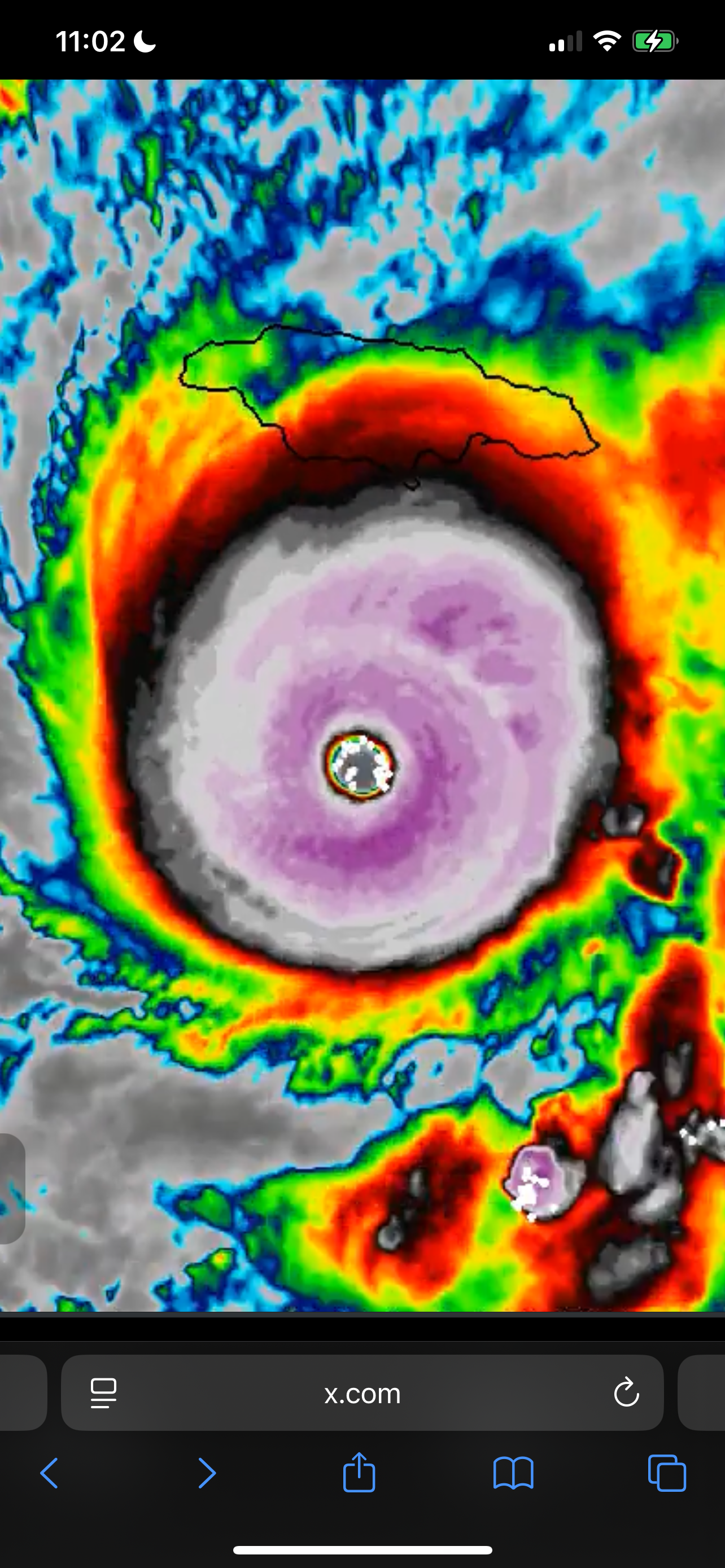
Millie’s is full nuclear now. All previous signs of an ERC rapidly disappeared after recon hunters flew out. It’s like a switch went off. Absolute nuclear….cloud tops rapidly cooled to -93 degree Celsius. That is extremely unprecedented in the Atlantic Basin.
 

Infrared imagery is jaw dropping right now. Everything I’m seeing on satellite and infrared imagery points to a high-end cane making a run at sub 910mb pressures. Lightning is impressive and very rapidly spiked in the NE/E quad of the eyewall. Really wish we had recon flights enroute.

IMG_2830.jpeg

IMG_2835.jpeg

IMG_2834.png

Link to comment
Share on other sites

Create an account or sign in to comment

You need to be a member in order to leave a comment

Create an account

Sign up for a new account in our community. It's easy!

Register a new account

Sign in

Already have an account? Sign in here.

Sign In Now
 Share

×
×
  • Create New...