Superstorm93 Posted April 28, 2014 Share Posted April 28, 2014 And Vilonia just took a direct hit... My god.... Link to comment Share on other sites More sharing options...
janetjanet998 Posted April 28, 2014 Share Posted April 28, 2014 And Vilonia just took a direct hit... My god.... the towns sort of spread out with a few pockets of higher populated subdivisions hopefully it missed those Link to comment Share on other sites More sharing options...
ICEHOCEY77 Posted April 28, 2014 Share Posted April 28, 2014 More Mayflower Link to comment Share on other sites More sharing options...
wxmeddler Posted April 28, 2014 Share Posted April 28, 2014 Went right over Vilonia. Link to comment Share on other sites More sharing options...
Hvward Posted April 28, 2014 Share Posted April 28, 2014 Link to comment Share on other sites More sharing options...
hm8 Posted April 28, 2014 Share Posted April 28, 2014 Link to comment Share on other sites More sharing options...
SmokeEater Posted April 28, 2014 Share Posted April 28, 2014 Total destruction being reported in Mayflower. Houses reported gone, nothing left. Link to comment Share on other sites More sharing options...
downeastnc Posted April 28, 2014 Share Posted April 28, 2014 the towns sort of spread out with a few pockets of higher populated subdivisions hopefully it missed those Yeah 2-3 really dense looking neighborhoods south of Hwy64, but it unfortunately looks to have hit them and then it seems to have gotten east enough to get the high school. Link to comment Share on other sites More sharing options...
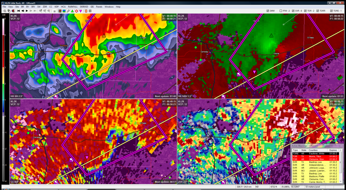
Superstorm93 Posted April 28, 2014 Share Posted April 28, 2014 70.5 dBZ debris ball signature. Haven't seen that in exactly four years. Link to comment Share on other sites More sharing options...
Hvward Posted April 28, 2014 Share Posted April 28, 2014 Debris out ahead. Link to comment Share on other sites More sharing options...
NCsandhills Posted April 28, 2014 Share Posted April 28, 2014 I just tried to call my old job in El Paso and the network is dead. Jesus christ....not again...... Link to comment Share on other sites More sharing options...
Disc Posted April 28, 2014 Share Posted April 28, 2014 Damn it.. Link to comment Share on other sites More sharing options...
SmokeEater Posted April 28, 2014 Share Posted April 28, 2014 Total destruction in Vilonia, per State Police. Link to comment Share on other sites More sharing options...
Buckeye05 Posted April 28, 2014 Share Posted April 28, 2014 Many homes destroyed with numerous entrapments throughout Faulkner County, AR according to scanners. Link to comment Share on other sites More sharing options...
Stebo Posted April 28, 2014 Share Posted April 28, 2014 Debris signatures over 20000' with this, unreal. Link to comment Share on other sites More sharing options...
SmokeEater Posted April 28, 2014 Share Posted April 28, 2014 BULLETIN - EAS ACTIVATION REQUESTEDTORNADO WARNINGNATIONAL WEATHER SERVICE LITTLE ROCK AR 756 PM CDT SUN APR 27 2014 ...TORNADO EMERGENCY FOR EL PASO AND FLOYD... THE NATIONAL WEATHER SERVICE IN LITTLE ROCK HAS ISSUED A * TORNADO WARNING FOR... WESTERN WHITE COUNTY IN CENTRAL ARKANSAS... EAST CENTRAL FAULKNER COUNTY IN CENTRAL ARKANSAS... EXTREME SOUTHEASTERN CLEBURNE COUNTY IN NORTH CENTRAL ARKANSAS... * UNTIL 830 PM CDT * AT 752 PM CDT...STORM SPOTTERS AND NATIONAL WEATHER SERVICE METEOROLOGISTS WERE TRACKING A CONFIRMED TORNADO WITH REPORTS OF DAMAGE. THIS TORNADO WAS LOCATED 2 MILES NORTHEAST OF VILONIA...OR 13 MILES NORTH OF LITTLE ROCK AFB. DOPPLER RADAR SHOWED THIS SEVERE STORM MOVING NORTHEAST AT 50 MPH. THIS IS A TORNADO EMERGENCY FOR EL PASO AND FLOYD. TAKE COVER NOW. * LOCATIONS IN OR NEAR THE PATH OF THIS TORNADO INCLUDE... SEARCY... VILONIA... GRAVEL HILL... CROSBY... SIDON... ROMANCE... OTTO... LETONA... JOY... FLOYD... EL PASO... CENTER HILL... ARMSTRONG SPRINGS... ALBION... Link to comment Share on other sites More sharing options...
Jim Marusak Posted April 28, 2014 Share Posted April 28, 2014 here's 2.5 degrees/4k ft, at 52 past the hour. Link to comment Share on other sites More sharing options...
Bostonseminole Posted April 28, 2014 Share Posted April 28, 2014 NWS Little Rock @NWSLittleRock TORNADO EMERGENCY FOR EL PASO AND FLOYD! TAKE COVER NOW! TORNADO 2 MILES NORTHEAST OF VILONIA MOVING NORTHEAST AT 35 MPH! Link to comment Share on other sites More sharing options...
Disc Posted April 28, 2014 Share Posted April 28, 2014 Link to comment Share on other sites More sharing options...
tornadotony Posted April 28, 2014 Share Posted April 28, 2014 It looks like debris may be up to 39,000 ft. on KLZK. Link to comment Share on other sites More sharing options...
NaoPos Posted April 28, 2014 Share Posted April 28, 2014 Classic, textbook beast super cell Link to comment Share on other sites More sharing options...
geddyweather Posted April 28, 2014 Share Posted April 28, 2014 This has been on the ground for at least 15 miles now, still showing little signs of weakening Link to comment Share on other sites More sharing options...
Stebo Posted April 28, 2014 Share Posted April 28, 2014 It looks like debris may be up to 39,000 ft. on KLZK. Yes, latest scan has it. This is the worst TDS we have seen since the dual-pol has came online. Link to comment Share on other sites More sharing options...
downeastnc Posted April 28, 2014 Share Posted April 28, 2014 Searcy is a good size town......hope it fades out or moves west of it. Link to comment Share on other sites More sharing options...
SchaumburgStormer Posted April 28, 2014 Share Posted April 28, 2014 This has been on the ground for at least 15 miles now, still showing little signs of weakening What sort of population density out in front of this monster? Rural? Link to comment Share on other sites More sharing options...
Derecho! Posted April 28, 2014 Share Posted April 28, 2014 I have a feeling that Texas cell will end up as a long track EF3+ once it reaches Arkansas. Link to comment Share on other sites More sharing options...
janetjanet998 Posted April 28, 2014 Share Posted April 28, 2014 still HIGH risk is 01z MODERate expanded north into MO for the next round PM CDT SUN APR 27 2014 VALID 280100Z - 281200Z ..THERE IS A HIGH RISK OF SVR TSTMS CENTERED ACROSS CENTRAL AR ...THERE IS A MDT RISK OF SVR TSTMS OVER WRN MO AND MUCH OF AR AND VICINITY... ...THERE IS A SLGT RISK OF SVR TSTMS ARCING FROM ERN NEB/IA SWD TO NERN TX/NRN LA/MS... ..SUMMARY WIDESPREAD SEVERE THUNDERSTORMS WILL CONTINUE TO AFFECT A LARGE PORTION OF THE CENTRAL U.S. THIS EVENING AND INTO THE OVERNIGHT HOURS -- WITH THE RISK FOR LARGE HAIL AND DAMAGING WINDS ALONG WITH SEVERAL TORNADOES. THE AREA WHERE THE GREATEST RISK FOR SEVERE WEATHER -- INCLUDING A COUPLE OF STRONG TO POSSIBLY VIOLENT TORNADOES -- WILL PERSIST REMAINS CENTERED ON ARKANSAS...AND NORTHWARD INTO WESTERN MISSOURI. ..MO/AR AND VICINITY WIDESPREAD STRONG/SEVERE STORMS -- INCLUDING SEVERAL SUPERCELLS -- CONTINUE ATTM ACROSS MUCH OF THE AREA AHEAD OF A SURFACE TROUGH/DRYLINE...WITH THE MOST INTENSE CELLS OCCURRING OVER CENTRAL/NRN AR NWWD ACROSS WRN MO. IN PARTICULAR...A LARGE SUPERCELL LIKELY PRODUCING A LARGE TORNADO IS MOVING JUST NORTH OF LIT ATTM...NEAR OR JUST NORTH OF A ROUGHLY E-W SURFACE BOUNDARY BISECTING THE STATE. 1000 TO OVER 2000 J/KG MIXED-LAYER CAPE EXTENDS FROM FAR ERN KS/WRN MO SWD ACROSS ALL BUT FAR NERN AR...SUPPORTING THE ONGOING CONVECTION. ADDITIONAL DEVELOPMENT APPEARS POSSIBLE ON WRN FRINGES OF THE ONGOING STORMS LATER THIS EVENING -- ACROSS MO/AR AND POSSIBLY AS FAR SW AS NERN TX -- AS AN 80-PLUS KT MID-LEVEL JET STREAK ROTATES EWD ACROSS THE ARKLATEX INTO AR/SERN MO OVERNIGHT S OF THE NEARLY STATIONARY MID-LEVEL LOW OVER NWRN KS/SWRN NEB. WITH SHEAR TO INCREASE OVER THE NEXT SEVERAL HOURS AS THIS JET SPREADS ATOP SELY BOUNDARY LAYER FLOW...EXPECT THE SEVERE RISK -- INCLUDING POTENTIAL FOR TORNADOES TO EXTEND WELL INTO THE OVERNIGHT HOURS. ..IA/IL/WRN KY/WRN TN/MS WIDESPREAD -- BUT PRIMARILY ELEVATED -- STORMS AREA EXPECTED IN AN ARC ALONG AND E OF THE MS VALLEY TONIGHT...AS A LOW-LEVEL JET INCREASES/VEERS WITH TIME. ALONG WITH RISK FOR A FEW STRONGER WIND GUSTS...HAIL IS EXPECTED WITH THE STRONGER STORMS AS CONVECTION INCREASES ACROSS THIS AREA THIS EVENING/OVERNIGHT. ..GOSS.. 04/28/2014 Link to comment Share on other sites More sharing options...
phil882 Posted April 28, 2014 Share Posted April 28, 2014 The strangest thing is that this is the only cell that has gotten remotely this intense over AR... there are no cells directly to the south that might impede its inflow. Another impressive fact is the lack of occlusion so far, its maintained a nice debris ball for 1+ hour so far. Link to comment Share on other sites More sharing options...
Superstorm93 Posted April 28, 2014 Share Posted April 28, 2014 Winds are insanely backed. Could cycle again. Link to comment Share on other sites More sharing options...
Derecho! Posted April 28, 2014 Share Posted April 28, 2014 What sort of population density out in front of this monster? Rural? Rural but farms, houses, and the odd business here and there. Link to comment Share on other sites More sharing options...
Recommended Posts
Archived
This topic is now archived and is closed to further replies.