Memphis Weather Posted April 14, 2012 Share Posted April 14, 2012 Rusell Arpt just recorded 74mph gust... Link to comment Share on other sites More sharing options...
H2O Posted April 14, 2012 Share Posted April 14, 2012 Sounds good. Hopefully we catch a few tors on the stream today. Good luck, Joe! Stay safe. Link to comment Share on other sites More sharing options...
Chinook Posted April 14, 2012 Share Posted April 14, 2012 Spotter Network Chaser Chris Collura reported brief rain-wrapped tornado just east of Russel. Radar shot from UEX looking at Russell. Pretty good rotation seen on the Level 3 Meso indicator. Link to comment Share on other sites More sharing options...
Thundersnow12 Posted April 14, 2012 Share Posted April 14, 2012 had a bad mud situation south of Mankato but thankfully got out, almost to Beloit then dropping south to get on the new storms in sw/southern KS Link to comment Share on other sites More sharing options...
ICEHOCEY77 Posted April 14, 2012 Share Posted April 14, 2012 new Tornado warning for the cell on the KS/OK border. Starting to form an appendage. Link to comment Share on other sites More sharing options...
wxmeddler Posted April 14, 2012 Share Posted April 14, 2012 Funnel could reported quarter way to the ground by Justin Hoyt of Spotter Network at 18:28 about 20 miles SW of Dodge City. Link to comment Share on other sites More sharing options...
Superstorm93 Posted April 14, 2012 Share Posted April 14, 2012 Good Luck Joe! Hope you have a good time and stay safe. Link to comment Share on other sites More sharing options...
weunice Posted April 14, 2012 Share Posted April 14, 2012 Are there any websites making use of this new system, where you can see at a glance? I hope that the volume of information today doesnt make it too slow but I wrote something mostly for my personal use that takes this into account. http://wxscout.com/ When you get to the site click on Summary in the upper right corner. If you see the icon that looks like this: The algorithm has detected TORNADO...POSSIBLE I am using NWS sources and WUnderground for radar so you may see a delay of 5 minutes or so with some warnings and warnings will linger for as long as 15 minutes past expiration. They are noted as expired though. During major outbreaks things may get slow but that has more to do with the volume at NWS and Wundergound than anything. Works best with a recent version of Firefox, Chrome or Safari. Link to comment Share on other sites More sharing options...
Amped Posted April 14, 2012 Share Posted April 14, 2012 SW KS cell starting has a TW. Cells trying to form SW into OK and TX panhandle. Looks like the negative height tendencies are starting to kick in. Link to comment Share on other sites More sharing options...
TheWeatherPimp Posted April 14, 2012 Share Posted April 14, 2012 We are headed West on US50 as well - live video at SWATChasers.com and we'll have audio once we get close. Link to comment Share on other sites More sharing options...
Superstorm93 Posted April 14, 2012 Share Posted April 14, 2012 Cells keep developing in SW KS... Those should become monster updrafts down the road. Link to comment Share on other sites More sharing options...
Chicago Storm Posted April 14, 2012 Share Posted April 14, 2012 Good luck, Joe! Stay safe. Good Luck Joe! Hope you have a good time and stay safe. Thanks. Heading west towards St. John, KS...Then SW to the new tor warned cell. Link to comment Share on other sites More sharing options...
L.B. LaForce Posted April 14, 2012 Share Posted April 14, 2012 Chekc out that beast northwest of Omaha! She's turning right too. May be slightly elevated as well. Link to comment Share on other sites More sharing options...
Thundersnow12 Posted April 14, 2012 Share Posted April 14, 2012 Think the two cells near DDC are the first to have serious potential over the next few hours. Link to comment Share on other sites More sharing options...
Superstorm93 Posted April 14, 2012 Share Posted April 14, 2012 Link to comment Share on other sites More sharing options...
Superstorm93 Posted April 14, 2012 Share Posted April 14, 2012 Monster cell developing near DDC Link to comment Share on other sites More sharing options...
Chinook Posted April 14, 2012 Share Posted April 14, 2012 Think the two cells near DDC are the first to have serious potential over the next few hours. two cells near DDC just went into tornado warning. Looks like a hook echo is hitting the DDC radar, but it is hard to tell. edit: DDC cell looks much better on 3.5 tilt since it's so close to the radar. Link to comment Share on other sites More sharing options...
EquusStorm Posted April 14, 2012 Share Posted April 14, 2012 That Norfolk, NE cell looks like it's dropping MONSTER hail based on reflectivity and SPC reports... not TOR warned at the moment but still one of the nastiest looking cells on radar. I assume it may be elevated to a degree? There's some rotation with it. Link to comment Share on other sites More sharing options...
TheWeatherPimp Posted April 14, 2012 Share Posted April 14, 2012 That Norfolk, NE cell looks like it's dropping MONSTER hail based on reflectivity and SPC reports... not TOR warned at the moment but still one of the nastiest looking cells on radar. I assume it may be elevated to a degree? There's some rotation with it. Definitely elevated but indeed, likely a monster hail producer. Link to comment Share on other sites More sharing options...
dan11295 Posted April 14, 2012 Share Posted April 14, 2012 Rotation appears to be tightening on the Mitchell/Osborne Cty KS cell Link to comment Share on other sites More sharing options...
YHM Supercell Posted April 14, 2012 Share Posted April 14, 2012 HRRR shows numerous round of discrete supercells throughout the day today in the high risk area. Link to comment Share on other sites More sharing options...
CUmet Posted April 14, 2012 Share Posted April 14, 2012 The inversion appears to be quite a bit weaker and more elevated on the 17z balloon launch from OUN as compared to model forecast soundings and current RUC analysis. This may have implications for initiation at points farther south. Compare: Link to comment Share on other sites More sharing options...
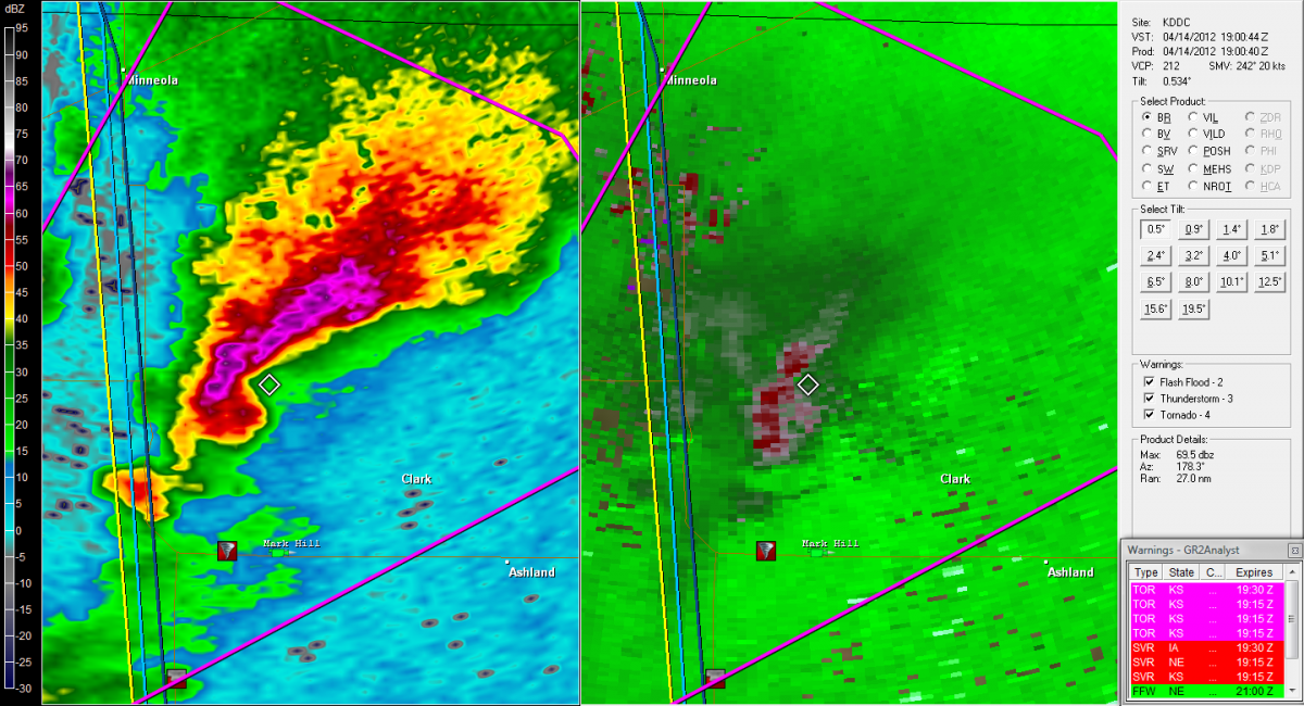
Disc Posted April 14, 2012 Share Posted April 14, 2012 Report of a cone tornado with this storm. Link to comment Share on other sites More sharing options...
Superstorm93 Posted April 14, 2012 Share Posted April 14, 2012 TOG SSE of DDC Link to comment Share on other sites More sharing options...
wxmeddler Posted April 14, 2012 Share Posted April 14, 2012 TOG SE OF DDC via SN (Mark Hill) @ 18:58 Link to comment Share on other sites More sharing options...
Indystorm Posted April 14, 2012 Share Posted April 14, 2012 Think the two cells near DDC are the first to have serious potential over the next few hours. Am in full agreement. And look at the clearing commencing over western OK in front of the dry line. Things will certainly become more surface based there and eastward. Link to comment Share on other sites More sharing options...
tmagan Posted April 14, 2012 Share Posted April 14, 2012 18Z Topeka, KS RAOB 18Z Omaha, NE RAOB Link to comment Share on other sites More sharing options...
EquusStorm Posted April 14, 2012 Share Posted April 14, 2012 Definitely elevated but indeed, likely a monster hail producer. Yeah, that's kind of what I figured. SPC storm reports page shows seven large hail reports, all of which were along the path of this one cell... a pretty impressive little storm! Even being an elevated storm, I wouldn't want to be near that thing with anything that could be damaged by hail. Yikes. Link to comment Share on other sites More sharing options...
ICEHOCEY77 Posted April 14, 2012 Share Posted April 14, 2012 CONCERNING...TORNADO WATCH 165... VALID 141844Z - 141945Z THE SEVERE WEATHER THREAT FOR TORNADO WATCH 165 CONTINUES. THE THREAT FOR SIGNIFICANTLY TORNADIC SUPERCELLS IS INCREASING OVER PARTS OF SWRN KS INCLUDING THE DODGE CITY AREA. INFLOW INTO DISCRETE SUPERCELLS EVOLVING OVER MEADE AND GRAY/FORD COUNTIES IS LIKELY BECOMING SURFACE BASED PER MODIFIED RUC/OBSERVED SOUNDINGS. SBCAPE VALUES OF 2000-3000 J/KG AMIDST STRONG DEEP-LAYER SHEAR WILL SUPPORT RAPID INTENSIFICATION WITH THESE STORMS. STRONG LOW-LEVEL SHEAR -- 0-1 KM SRH OF 297 M2/S2 PER HAVILAND KS PROFILER THAT ALSO INDICATES A LARGE AMOUNT OF STREAMWISE VORTICITY CONCENTRATED IN THE LOWEST 0.5 KM AGL -- COULD SUPPORT SIGNIFICANT TORNADOES. ADDITIONAL CLUSTERS OF STORMS INCLUDING SUPERCELLS FARTHER NORTH ACROSS THE WW AREA WILL POSE MAINLY A LARGE/VERY LARGE HAIL THREAT AND PERHAPS A COUPLE OF TORNADOES BEFORE A MORE FAVORABLE THERMODYNAMIC ENVIRONMENT FOR SFC-BASED SUPERCELLS ARRIVES WITHIN A FEW HOURS. ..COHEN.. 04/14/2012 Link to comment Share on other sites More sharing options...
gkrangers Posted April 14, 2012 Share Posted April 14, 2012 Think the two cells near DDC are the first to have serious potential over the next few hours. The main cell down there is going to pass near Greensburg. Link to comment Share on other sites More sharing options...
Recommended Posts
Archived
This topic is now archived and is closed to further replies.