free_man Posted June 3, 2013 Author Share Posted June 3, 2013 how the heck do i post pictures? I tried using the help but that didn't help, and the attach image button just asks for a URL Bottom right corner where you hit "post', click nearby "more reply options"...then at bottom of page, you 'll see "attach image" separate from the text window. Link to comment Share on other sites More sharing options...
CoastalWx Posted June 3, 2013 Share Posted June 3, 2013 WCSH has some good pics from Rangeley area and what appears to be a waterspout on Sebago Lake. Link to comment Share on other sites More sharing options...
HIPPYVALLEY Posted June 3, 2013 Share Posted June 3, 2013 Got about 20 minutes of welcome moderate rain in the last hour. Franklin Co. really missed most of the action today, got split N & S. Link to comment Share on other sites More sharing options...
HIPPYVALLEY Posted June 3, 2013 Share Posted June 3, 2013 WCSH has some good pics from Rangeley area and what appears to be a waterspout on Sebago Lake. Here's the link to the photo gallery: http://www.wcsh6.com/news/article/246063/314/Photo-Gallery-June-2-Severe-Weather CMP reporting 13K w/o power. Link to comment Share on other sites More sharing options...
weatherwiz Posted June 3, 2013 Share Posted June 3, 2013 Got lots of of pics today. Wil post in a thread later Link to comment Share on other sites More sharing options...
powderfreak Posted June 3, 2013 Share Posted June 3, 2013 Here's the link to the photo gallery: http://www.wcsh6.com/news/article/246063/314/Photo-Gallery-June-2-Severe-Weather CMP reporting 13K w/o power. Looks interesting... This one is awesome...as ominous as it gets, haha. Link to comment Share on other sites More sharing options...
Whineminster Posted June 3, 2013 Share Posted June 3, 2013 picture of a rainbow and storm above wachusett from today Link to comment Share on other sites More sharing options...
HoarfrostHubb Posted June 3, 2013 Share Posted June 3, 2013 Awesome shots Link to comment Share on other sites More sharing options...
HoarfrostHubb Posted June 3, 2013 Share Posted June 3, 2013 Not sure that is a waterspout... Scudnado? Link to comment Share on other sites More sharing options...
free_man Posted June 3, 2013 Author Share Posted June 3, 2013 W MA lightning up somewhat. Also quite a few lightning bugs outside tonight, first appearance since I have been here. Anyone else? Link to comment Share on other sites More sharing options...
TalcottWx Posted June 3, 2013 Share Posted June 3, 2013 how the heck do i post pictures? I tried using the help but that didn't help, and the attach image button just asks for a URL I use tinypic Link to comment Share on other sites More sharing options...
HoarfrostHubb Posted June 3, 2013 Share Posted June 3, 2013 W MA lightning up somewhat. Also quite a few lightning bugs outside tonight, first appearance since I have been here. Anyone else? I saw a ton of them last night. A bit early this year Link to comment Share on other sites More sharing options...
weatherwiz Posted June 3, 2013 Share Posted June 3, 2013 W MA lightning up somewhat. Also quite a few lightning bugs outside tonight, first appearance since I have been here. Anyone else? I feel like lightning bugs aren't as common as they used to be. When I was young, I remember seeing them all the time and running around catching them in jars. Link to comment Share on other sites More sharing options...
dendrite Posted June 3, 2013 Share Posted June 3, 2013 Not sure that is a waterspout... Scudnado? There's a waterspout in the gallery in the link posted. That first pic from PF looks like a nasty shelf cloud. Link to comment Share on other sites More sharing options...
dendrite Posted June 3, 2013 Share Posted June 3, 2013 W MA lightning up somewhat. Also quite a few lightning bugs outside tonight, first appearance since I have been here. Anyone else? I noticed many out a few nights ago...Fri night maybe? They seem early to me this year. I usually start noticing them in mid June through the beginning of July. Link to comment Share on other sites More sharing options...
free_man Posted June 3, 2013 Author Share Posted June 3, 2013 Yeah, it does seem very early for ltgbgz. weird Link to comment Share on other sites More sharing options...
free_man Posted June 3, 2013 Author Share Posted June 3, 2013 I feel like lightning bugs aren't as common as they used to be. When I was young, I remember seeing them all the time and running around catching them in jars. Probably because as kids we obsessed over them, held them hostage, etc. Link to comment Share on other sites More sharing options...
weatherwiz Posted June 3, 2013 Share Posted June 3, 2013 Probably because as kids we obsessed over them, held them hostage, etc. Haha...you have a point there Link to comment Share on other sites More sharing options...
free_man Posted June 3, 2013 Author Share Posted June 3, 2013 looks like heavy rain and perhaps some light flooding to commence. distant lightning to wsw. Link to comment Share on other sites More sharing options...
OceanStWx Posted June 3, 2013 Share Posted June 3, 2013 There are a ton of comments about this in the main severe thread in the mid-west forum, but I will refrain from commenting there. Anyways, my take on it is this... If you're a storm chaser, you know, or must know that there are not only major responsibilities but there could be major consequences involved. I guess, as a chaser you are asking yourself several questions as to why you're chasing; 1) Am i chasing b/c I just want to see what this stuff looks like? 2) Am I chasing b/c I want to be involved in the scientific community and can I do what I can to help provide data and analysis? 3) Am I chasing b/c I want to not only document this, but get information and relay it to weather services and public safety officers, perhaps sacrificing my life in hopes to save others. I'm sure you could broaden these questions further, however, we just have to realize, the number of chasers are only going to increase in the future..will it clog roads? Yes it will, but people not into chasing and not involved with that should not really be fleeing in their vehicles. Out in tornado ally, there should be numerous shelters available. In my mind, in the end, Chasers have been incredibly helpful to the field overall. Whether or not people disagree with some of the tactics some choose or not...that is all opinion and there is never going to be a right or wrong answer. In the end, if we truly want to know EVERYTHING about tornadoes...we are going to need chasers and people willing to place their safety in jeopardy to accomplish that task. I do bristle at the false representation of chasers at times. They are indeed an invaluable resource for the NWS and have directly participated in the saving of lives. However, they are not asked by the NWS to chase storms. We cannot advocate chasing because it is inherently dangerous. We only ask that people report storms and damage when it is safe to do so. So when a chaser tries to justify why they were bombing at 100 mph down some two lane in Kansas by saying they were doing work for the NWS I shake my head. He always claims it's for research, but he's so full of sh*t. He's led the tornado sensationalism train and it's that train that will eventually lead to more chaser deaths as everyone tries to get too close for comfort. All this video is great, sure, but he's a tool. You should hear some of the stories I've heard from people close to him. Completely full of it, more false representation. When you have cameras pointing inward at you I can't believe that you're out there for the beauty or science of it. In fact place me firmly in the Chuck Doswell camp. I don't agree with everything he has to say, but in regards to recent trends in chasing he's spot on. He stated that most of this "awesome" video making the rounds on the internet is actually crap. You have grainy video of the bottom 10% of a tornado? Great. I want to see the whole tornado, updraft included. That's the real wonder, beauty, etc. Still shocked with the news about Tim though. He seemed like one of the guys who just got it, and I still imagine something must have gone extremely wrong for him to get caught up like he did. He was not the type to drive close just to get his rocks off or sell off the footage to the highest bidder. Link to comment Share on other sites More sharing options...
OceanStWx Posted June 3, 2013 Share Posted June 3, 2013 Now that I'm off my soapbox, yesterday had a few red flags in the pro column for sure. Despite weaker lapse rates aloft, there was ample heating for instability. Deep southwesterly flow helped blow anvil debris off to the northeast, thereby keeping the air mass ahead of the approaching prefrontal trough cooking. In addition, the boundary layer flow was pretty strong. I was driving home from Ithaca, and pretty much from I-88 on to Maine the trees were whipping around in the wind. Anytime I see boundary layer flow that strong combined with approaching thunderstorms I'm thinking big time wind damage possibility. And there were certainly a few areas that had higher end wind damage. Link to comment Share on other sites More sharing options...
CoastalWx Posted June 3, 2013 Share Posted June 3, 2013 I do bristle at the false representation of chasers at times. They are indeed an invaluable resource for the NWS and have directly participated in the saving of lives. However, they are not asked by the NWS to chase storms. We cannot advocate chasing because it is inherently dangerous. We only ask that people report storms and damage when it is safe to do so. So when a chaser tries to justify why they were bombing at 100 mph down some two lane in Kansas by saying they were doing work for the NWS I shake my head. Completely full of it, more false representation. When you have cameras pointing inward at you I can't believe that you're out there for the beauty or science of it. In fact place me firmly in the Chuck Doswell camp. I don't agree with everything he has to say, but in regards to recent trends in chasing he's spot on. He stated that most of this "awesome" video making the rounds on the internet is actually crap. You have grainy video of the bottom 10% of a tornado? Great. I want to see the whole tornado, updraft included. That's the real wonder, beauty, etc. Still shocked with the news about Tim though. He seemed like one of the guys who just got it, and I still imagine something must have gone extremely wrong for him to get caught up like he did. He was not the type to drive close just to get his rocks off or sell off the footage to the highest bidder. We were talking internally about it. Something had to go completely wrong. I suppose anything from traffic to actual car trouble could be to blame, but who knows for sure. I already have received a few comments about storm chasing, but abruptly shot them down when I explained who these guys were and what they were doing. Link to comment Share on other sites More sharing options...
CT Rain Posted June 3, 2013 Share Posted June 3, 2013 We were talking internally about it. Something had to go completely wrong. I suppose anything from traffic to actual car trouble could be to blame, but who knows for sure. I already have received a few comments about storm chasing, but abruptly shot them down when I explained who these guys were and what they were doing. Yeah I've been lucky that they've given me time at work to talk about storm chasing and tim samaras to give people a full picture of what he was doing etc. Link to comment Share on other sites More sharing options...
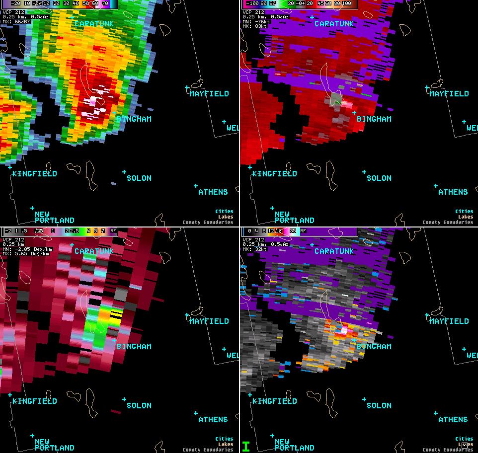
tamarack Posted June 3, 2013 Share Posted June 3, 2013 Looks interesting... This pic and the next one in the series came from where GYX folks are investigating on the ground today. I heard "between Kingfield and Bingham" and "Rangeley area" quoted as sites being looked at. Pic is right between those first two towns, and where a tornado warning was posted yesterday. The "Rangeley area" must be a separate site, to look at what appears from the pics to be straight line wind damage. Link to comment Share on other sites More sharing options...
OceanStWx Posted June 3, 2013 Share Posted June 3, 2013 This pic and the next one in the series came from where GYX folks are investigating on the ground today. I heard "between Kingfield and Bingham" and "Rangeley area" quoted as sites being looked at. Pic is right between those first two towns, and where a tornado warning was posted yesterday. The "Rangeley area" must be a separate site, to look at what appears from the pics to be straight line wind damage. Nobody is investigating today. We have no reports of damage (though for my money the couplet just west of Bingham looks legitimately tornadic). If we get reports then we may send someone out tomorrow. Anything up by Rangeley should be straight line in nature. Link to comment Share on other sites More sharing options...
tamarack Posted June 3, 2013 Share Posted June 3, 2013 Nobody is investigating today. We have no reports of damage (though for my money the couplet just west of Bingham looks legitimately tornadic). If we get reports then we may send someone out tomorrow. Anything up by Rangeley should be straight line in nature. So much for accurate news reports (and people like me who relay them.) Thanks for providing the facts. Link to comment Share on other sites More sharing options...
OceanStWx Posted June 3, 2013 Share Posted June 3, 2013 So much for accurate news reports (and people like me who relay them.) Thanks for providing the facts. We certainly may have said we were surveying last night, but nobody verified that with those who may or may not be available for surveys today. I'm continuing to investigate the area just west of Bingham as this couplet looked awfully legit. Link to comment Share on other sites More sharing options...
OceanStWx Posted June 4, 2013 Share Posted June 4, 2013 Seeing as this was the leftovers from the tornadoes in Oklahoma on 5/31 I thought I'd post an update for interested parties in New England. OUN has upgraded the El Reno tornado to an EF5 based on a measured 296 mph wind sampled by a DOW. In addition, they have confirmed a 2.6 mile wide circulation, making it the largest tornado on record (beating Hallam, NE in 2004 by 0.1 mile). Also through internal discussion they remotely sampled the suction vorticies rotating around the parent circulation as moving at roughly 150 mph. Kind of previously not even considered a possibility. Link to comment Share on other sites More sharing options...
CoastalWx Posted June 4, 2013 Share Posted June 4, 2013 Seeing as this was the leftovers from the tornadoes in Oklahoma on 5/31 I thought I'd post an update for interested parties in New England. OUN has upgraded the El Reno tornado to an EF5 based on a measured 296 mph wind sampled by a DOW. In addition, they have confirmed a 2.6 mile wide circulation, making it the largest tornado on record (beating Hallam, NE in 2004 by 0.1 mile). Also through internal discussion they remotely sampled the suction vorticies rotating around the parent circulation as moving at roughly 150 mph. Kind of previously not even considered a possibility. Well that will certainly add or subtract to the damage along the path. Pretty incredible stuff. Link to comment Share on other sites More sharing options...
CoastalWx Posted June 4, 2013 Share Posted June 4, 2013 Seeing as this was the leftovers from the tornadoes in Oklahoma on 5/31 I thought I'd post an update for interested parties in New England. OUN has upgraded the El Reno tornado to an EF5 based on a measured 296 mph wind sampled by a DOW. In addition, they have confirmed a 2.6 mile wide circulation, making it the largest tornado on record (beating Hallam, NE in 2004 by 0.1 mile). Also through internal discussion they remotely sampled the suction vorticies rotating around the parent circulation as moving at roughly 150 mph. Kind of previously not even considered a possibility. That 150mph satellite vortex was near the researchers who died I guess? Link to comment Share on other sites More sharing options...
Recommended Posts
Archived
This topic is now archived and is closed to further replies.