audioguy3107 Posted March 3, 2012 Share Posted March 3, 2012 Jeez that's a ridiculous couplet Link to comment Share on other sites More sharing options...
SouthernNJ Posted March 3, 2012 Share Posted March 3, 2012 Rapidly developing, likely hail producing storm about to move through Gadsden AL. Link to comment Share on other sites More sharing options...
Dunkman Posted March 3, 2012 Share Posted March 3, 2012 Rapidly developing, likely hail producing storm about to move through Gadsden AL. That one is starting to get a little suspicious look to it. Not much on the velocity yet but definitely something to watch...hasn't been taking them long to spin up. Link to comment Share on other sites More sharing options...
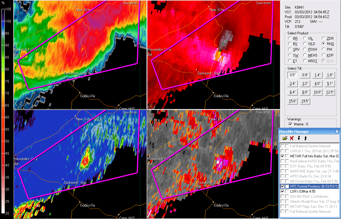
NaoPos Posted March 3, 2012 Share Posted March 3, 2012 almost 130kts G2G shear on that tor warned cell entering alexander city. Link to comment Share on other sites More sharing options...
andyhb Posted March 3, 2012 Share Posted March 3, 2012 Impressive BWER on the cell per WSFA coverage out of Montgomery: http://www.wsfa.com/category/218796/wsfa Link to comment Share on other sites More sharing options...
wxsniss Posted March 3, 2012 Share Posted March 3, 2012 Intense couplet Daviston in line (population 2-300) Link to comment Share on other sites More sharing options...
janetjanet998 Posted March 3, 2012 Share Posted March 3, 2012 /O.CON.KBMX.TO.W.0029.000000T0000Z-120303T0515Z/ TALLAPOOSA AL- 1049 PM CST FRI MAR 2 2012 ...A TORNADO WARNING REMAINS IN EFFECT FOR NORTHERN TALLAPOOSA COUNTY UNTIL 1115 PM CST... AT 1044 PM CST...EMERGENCY MANAGEMENT REPORTED A TORNADO. IF Link to comment Share on other sites More sharing options...
NaoPos Posted March 3, 2012 Share Posted March 3, 2012 almost up to 140kts G2G. Link to comment Share on other sites More sharing options...
Memphis Weather Posted March 3, 2012 Share Posted March 3, 2012 TDS incredibly impressive coming just NE of Jackson's Gap. CC values as low .27! Link to comment Share on other sites More sharing options...
wxmeddler Posted March 3, 2012 Share Posted March 3, 2012 TDS /debris at 4900 ft Link to comment Share on other sites More sharing options...
MADDOGG Posted March 3, 2012 Share Posted March 3, 2012 confrimed tor now on that warning Link to comment Share on other sites More sharing options...
Thrasher Fan Posted March 3, 2012 Share Posted March 3, 2012 NWS reporting a tornado on the ground per WSFA Link to comment Share on other sites More sharing options...
MotoWeatherman Posted March 3, 2012 Share Posted March 3, 2012 Getting my heaviest rains (4-5+" per hour rates) along with my strongest winds (30MPH gusts) with this bowing line of thunder and lightning. Link to comment Share on other sites More sharing options...
janetjanet998 Posted March 3, 2012 Share Posted March 3, 2012 BULLETIN - EAS ACTIVATION REQUESTED TORNADO WARNING NATIONAL WEATHER SERVICE BIRMINGHAM AL 1100 PM CST FRI MAR 2 2012 THE NATIONAL WEATHER SERVICE IN BIRMINGHAM HAS ISSUED A * TORNADO WARNING FOR... NORTHERN CHAMBERS COUNTY IN EAST CENTRAL ALABAMA... * UNTIL 1145 PM CST * AT 1058 PM CST...EMERGENCY MANAGEMENT REPORTED A TORNADO 8 MILES NORTHWEST OF RIDGE GROVE... Link to comment Share on other sites More sharing options...
NaoPos Posted March 3, 2012 Share Posted March 3, 2012 anyone have trimbole county snapshot from earlier? Link to comment Share on other sites More sharing options...
wxsniss Posted March 3, 2012 Share Posted March 3, 2012 TDS /debris at 4900 ft confirmed otg, moving at 55mph Link to comment Share on other sites More sharing options...
wxmeddler Posted March 3, 2012 Share Posted March 3, 2012 Getting worried, the cell with the confirmed tornado is heading towards La Grange,GA. Population 24,998. Link to comment Share on other sites More sharing options...
AcworthWx Posted March 3, 2012 Share Posted March 3, 2012 Getting worried, the cell with the confirmed tornado is heading towards La Grange,GA. Population 24,998. Supposed to get to LaGrange in roughly 45 minutes according to Rich Thomas on WSFA. Live Feed: http://www.wsfa.com/category/218796/wsfa Link to comment Share on other sites More sharing options...
wxmeddler Posted March 3, 2012 Share Posted March 3, 2012 BULLETIN - EAS ACTIVATION REQUESTED TORNADO WARNING NATIONAL WEATHER SERVICE PEACHTREE CITY GA 1215 AM EST SAT MAR 3 2012 THE NATIONAL WEATHER SERVICE IN PEACHTREE CITY HAS ISSUED A * TORNADO WARNING FOR... TROUP COUNTY IN WEST CENTRAL GEORGIA * UNTIL 100 AM EST * AT 1213 AM EST...NATIONAL WEATHER SERVICE DOPPLER RADAR INDICATED A SEVERE THUNDERSTORM CAPABLE OF PRODUCING A TORNADO 25 MILES WEST OF LAGRANGE...MOVING EAST AT 45 MPH. * OTHER LOCATIONS IN THE WARNING INCLUDE BUT ARE NOT LIMITED TO HOGANSVILLE. PRECAUTIONARY/PREPAREDNESS ACTIONS... Link to comment Share on other sites More sharing options...
Thrasher Fan Posted March 3, 2012 Share Posted March 3, 2012 Supposed to get to LaGrange in roughly 45 minutes according to Rich Thomas on WSFA. Live Feed: http://www.wsfa.com/...ory/218796/wsfa Troop Co., GA now TOR warned Link to comment Share on other sites More sharing options...
BeauDodson Posted March 3, 2012 Share Posted March 3, 2012 S o b e r i n g From WKRC's website: Clermont County Coroner tells Local 12 News that there is one confirmed fatality in Bethel from today's storms. Officials say a body was found on State Route 133 but the person's identity was not released. Police tell us that the person was the resident of a mobile home-that mobile home has yet to be located. Link to comment Share on other sites More sharing options...
NaoPos Posted March 3, 2012 Share Posted March 3, 2012 man.. what a day.. i think i've been posting 12 hrs straight witha few breaks in between. tiring. Hopefully some good outta it. I know we all like severe weather events and storms for the beauty of them and the raw power. Days like today are surreal, and thats from sitting behind a computer watching this. TWC put it into perspective. A whole months worth of tornados in 1 day. absolutely unreal. Nice job to everyone that contributed in here today. Talk about a huge area to cover. I think we all did splendid getting good info on here, and who knows, maybe out to a few people directly involved. I'm heading to bed. Tomorrow should be sobering. Link to comment Share on other sites More sharing options...
BeauDodson Posted March 3, 2012 Share Posted March 3, 2012 man.. what a day.. i think i've been posting 12 hrs straight witha few breaks in between. tiring. Hopefully some good outta it. I know we all like severe weather events and storms for the beauty of them and the raw power. Days like today are surreal, and thats from sitting behind a computer watching this. TWC put it into perspective. A whole months worth of tornados in 1 day. absolutely unreal. Nice job to everyone that contributed in here today. Talk about a huge area to cover. I think we all did splendid getting good info on here, and who knows, maybe out to a few people directly involved. I'm heading to bed. Tomorrow should be sobering. Paducah NWS area lost more lives in 3 hours on Leap Year morning than all of last years tornadoes and flood deaths combined - and that is saying something. We had the first/second biggest river flood in 100 years and we had the most tornadoes ever recorded (2011). Now in one morning - with one outbreak - more lives lost than all last year. Link to comment Share on other sites More sharing options...
Thrasher Fan Posted March 3, 2012 Share Posted March 3, 2012 man.. what a day.. i think i've been posting 12 hrs straight witha few breaks in between. tiring. Hopefully some good outta it. I know we all like severe weather events and storms for the beauty of them and the raw power. Days like today are surreal, and thats from sitting behind a computer watching this. TWC put it into perspective. A whole months worth of tornados in 1 day. absolutely unreal. Nice job to everyone that contributed in here today. Talk about a huge area to cover. I think we all did splendid getting good info on here, and who knows, maybe out to a few people directly involved. I'm heading to bed. Tomorrow should be sobering. And to think how this thread started on page 1 to what it is now is amazing. You could write a book. Link to comment Share on other sites More sharing options...
wxsniss Posted March 3, 2012 Share Posted March 3, 2012 man.. what a day.. i think i've been posting 12 hrs straight witha few breaks in between. tiring. Hopefully some good outta it. I know we all like severe weather events and storms for the beauty of them and the raw power. Days like today are surreal, and thats from sitting behind a computer watching this. TWC put it into perspective. A whole months worth of tornados in 1 day. absolutely unreal. Nice job to everyone that contributed in here today. Talk about a huge area to cover. I think we all did splendid getting good info on here, and who knows, maybe out to a few people directly involved. I'm heading to bed. Tomorrow should be sobering. fantastic job today, thanks for all your posts (and many others here) I migrated over from the New England forum at noon and absolutely enthralled for the past 12 hours Tornado chase booked 2nd week of May, base city Oklahoma City... I'd be in awe if it's even 5% of the past few hours. and yes... daylight saturday will be very sobering Link to comment Share on other sites More sharing options...
SN_Lover Posted March 3, 2012 Share Posted March 3, 2012 Video coming out showing the damage. I don't know if this has been posted... This show before a Tornado Link to comment Share on other sites More sharing options...
SharonA Posted March 3, 2012 Share Posted March 3, 2012 Still getting intermittent blasts of rain, wind, light and noise here in western Douglas County (about 5 miles S of I-20 and a bit east of the Douglas/Carroll border), but what do those of you who know what you're talking about think of the how the cell is shaping up in eastern Douglas County, about to cross over into Cobb along I-20? Link to comment Share on other sites More sharing options...
IceQueen706 Posted March 3, 2012 Share Posted March 3, 2012 Thank ya'll for doing what ya'll did today. It takes a lot of patience and passion to keep us all up to date. Link to comment Share on other sites More sharing options...
NaoPos Posted March 3, 2012 Share Posted March 3, 2012 Still getting intermittent blasts of rain, wind, light and noise here in western Douglas County (about 5 miles S of I-20 and a bit east of the Douglas/Carroll border), but what do those of you who know what you're talking about think of the how the cell is shaping up in eastern Douglas County, about to cross over into Cobb along I-20? eveyrhting from a tornadic standpoint looks to be diminished in that area. The trend tonight was after the initial batch of storms, the severe cells behind them weren't rotating. Cant rule out a quick spin up, but the environment looks a lot more stable compared to earlier. NOt sure if them storms are elevated at your location, but i would believe so. imho, enjoy some thunder, small hail, rains and lightnin and maybe some straight line winds.. just quick browsing the scans, base velocity and storm velocity, not much in the way of rotation. Link to comment Share on other sites More sharing options...
LithiaWx Posted March 3, 2012 Share Posted March 3, 2012 Hawks/MariettaWx...if you're around here, take cover immediately... Thank you. I'm ok and so are my family and friends. I was in the Jasper area when the storm hit. Damage appears to be minimal in my area of Marietta according to a friend. But it could have been much worse. I won't get to see my house soon. Going to have my buddy drop by and check it out. I think the circulation went a tad north of me but not much. Within few miles at the very most. I hope all is well at the homestead. Link to comment Share on other sites More sharing options...
Recommended Posts
Archived
This topic is now archived and is closed to further replies.