CheeselandSkies Posted July 29, 2024 Share Posted July 29, 2024 Consensus has trended toward a miss south/west for southern Wisconsin as far as the bulk of the severe weather over the next few days, but SPC has kept us in a marginal risk due to uncertainty. 1 Link to comment Share on other sites More sharing options...
Chinook Posted July 30, 2024 Share Posted July 30, 2024 Tornado warned supercells in Illinois (805pm central) Link to comment Share on other sites More sharing options...
bowtie` Posted July 30, 2024 Share Posted July 30, 2024 Always surprises me that CG's come in a variety of sizes. Just had a popcorn fart from a tiny cell over the house a minute or two ago. Sounded like someone shot a shotgun off in the alley behind the house. Baby bolt. 2 Link to comment Share on other sites More sharing options...
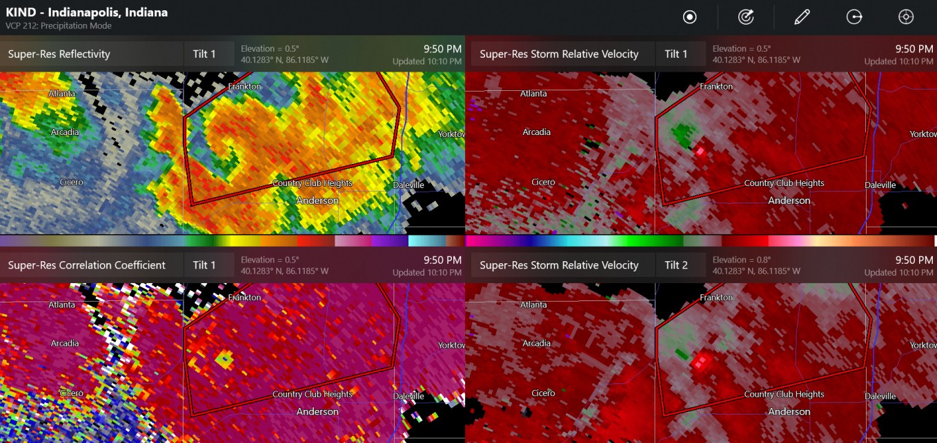
metallica470 Posted July 30, 2024 Share Posted July 30, 2024 Looks like debris ball near Anderson Indiana Link to comment Share on other sites More sharing options...
Chinook Posted July 30, 2024 Share Posted July 30, 2024 two notable radar images from Indiana tonight (Frankton Indiana had confirmed tornado warning) Link to comment Share on other sites More sharing options...
Malacka11 Posted July 30, 2024 Share Posted July 30, 2024 6 hours ago, bowtie` said: Always surprises me that CG's come in a variety of sizes. Just had a popcorn fart from a tiny cell over the house a minute or two ago. Sounded like someone shot a shotgun off in the alley behind the house. Baby bolt. Happened to me a few times at the dog park the other day from a similar tiny pop up cell. I like your description, it's very accurate Link to comment Share on other sites More sharing options...
Spartman Posted August 2, 2024 Share Posted August 2, 2024 August starting off like a lion Link to comment Share on other sites More sharing options...
CheeselandSkies Posted August 4, 2024 Share Posted August 4, 2024 Models have been painting a beautiful environment along a NW-SE oriented warm front from roughly south-central MN to SW WI tomorrow evening. However, most of them keep the warm sector capped. SPC has introduced a slight risk/5% just in case... Link to comment Share on other sites More sharing options...
bowtie` Posted August 4, 2024 Share Posted August 4, 2024 Looks like that corridor from Van Wert to Lima OH is in for another severe storm. I do not know what it is about that lane of geography, but storms really do seem to like that area, year after year after year. 2 Link to comment Share on other sites More sharing options...
IWXwx Posted August 4, 2024 Share Posted August 4, 2024 3 hours ago, bowtie` said: Looks like that corridor from Van Wert to Lima OH is in for another severe storm. I do not know what it is about that lane of geography, but storms really do seem to like that area, year after year after year. I blame Rick McCoy, a fellow Emergency Manager for that. He was originally a broadcast met in Ft. Wayne and has been the EMA Director in Van Wert Co., OH for decades. I always said that severe weather follows him wherever he goes, and Wan Wert County has seen a disproportionate share of severe weather, including numbers of tornadoes, in this region over the past 25 years. 1 1 Link to comment Share on other sites More sharing options...
CheeselandSkies Posted August 5, 2024 Share Posted August 5, 2024 Overnight HRRR runs starting to get a little frisky with firing warm sector supercells in southwestern WI to far north-central IL. Quote ...MN/IA into WI/IL... A surface low is forecast to deepen over the Mid-MO Valley during the afternoon/evening. A warm front will extend east/southeast from the low across northern IA/IL. Thunderstorms are expected to develop in a warm advection regime in the vicinity of the surface warm front. However, it remains uncertain if warm-sector convection will develop, or if convection will mostly be elevated to the cool side of the warm front. Regardless, forecast soundings indicate supercell wind profiles amid a very moist (70s F dewpoints) and unstable airmass. Elevated convection will pose a risk for large hail. If warm midlevel temps/capping can be overcome and storms develop with the warm sector, all severe hazards will be possible, including a couple of tornadoes. Initial cellular convection will likely develop into a more linear, forward-propagating mode during the evening as storms move into southern WI and northern IL. Given uncertainty regarding warm sector development, have maintained probabilities from the previous Day 2 outlook, but upgrades could become necessary if trends toward warm-sector supercell development increase. 1 Link to comment Share on other sites More sharing options...
CheeselandSkies Posted August 5, 2024 Share Posted August 5, 2024 Annnnd the 10/11/12Z runs backed off, go figure. Link to comment Share on other sites More sharing options...
madwx Posted August 5, 2024 Share Posted August 5, 2024 14 minutes ago, CheeselandSkies said: Annnnd the 10/11/12Z runs backed off, go figure. Cool ENE surface flow this morning. I’m selling any sig severe chances in Southern Wisconsin Link to comment Share on other sites More sharing options...
CheeselandSkies Posted August 5, 2024 Share Posted August 5, 2024 12 minutes ago, madwx said: Cool ENE surface flow this morning. I’m selling any sig severe chances in Southern Wisconsin Would need the warm front to lift north and on top of that something to break the cap in the warm sector. Link to comment Share on other sites More sharing options...
CheeselandSkies Posted August 5, 2024 Share Posted August 5, 2024 15Z run has it back...this tells me this setup is right on the line of a warm sector cap bust and a potent tornadic supercell or two. Also quite a few more supercells behind that lead batch...they would likely not be entirely surface-based but could be capable of producing wind/hail and heavy rain. Worth nothing the HRRR is not completely on an island, the 12Z HRW WRF-ARW also fires a few supercells along the WI/IL state line in the 23-00Z timeframe. 1 Link to comment Share on other sites More sharing options...
CheeselandSkies Posted August 6, 2024 Share Posted August 6, 2024 Decent-sized TDS near Waukon, IA persisted for several scans. At least one visible wedge occurred in south-central MN earlier. There was a "confirmed" tornado along the WI/IL state line around 0030 UTC but until I see otherwise I think it was a suspect public report. The storm collapsed shortly after. Maybe I'm just salty because I didn't pull the trigger on a chase in that area. Link to comment Share on other sites More sharing options...
HillsdaleMIWeather Posted August 6, 2024 Share Posted August 6, 2024 Unexpected early morning tornadoes time Link to comment Share on other sites More sharing options...
SolidIcewx Posted August 6, 2024 Share Posted August 6, 2024 4 minutes ago, HillsdaleMIWeather said: Unexpected early morning tornadoes time I’m suprised a bit also. I figured that wouldn’t happen for another couple hours. Strong consistent rotation on that storm. Link to comment Share on other sites More sharing options...
nwohweather Posted August 6, 2024 Share Posted August 6, 2024 Bad time for IWX to be down eh? Link to comment Share on other sites More sharing options...
nwohweather Posted August 6, 2024 Share Posted August 6, 2024 Are we sure there isn't a TOG right now in NW Ohio? I know DTX isn't close here but that's a tad concerning Link to comment Share on other sites More sharing options...
IWXwx Posted August 6, 2024 Share Posted August 6, 2024 IWX is receiving numerous damage pictures from areas that paralleled the rotation on radar from this morning’s warned supercell. EMA is currently investigating and will report later this afternoon, the results of which will determine whether surveys will be completed. Link to comment Share on other sites More sharing options...
IWXwx Posted August 6, 2024 Share Posted August 6, 2024 The damage path is from east of Marcellus to the north side of Three Rivers, MI. If it turns out to be a tornado touchdown, how anomalous is that, an AM tornado in Michigan? 1 Link to comment Share on other sites More sharing options...
nwohweather Posted August 6, 2024 Share Posted August 6, 2024 Pretty sure we had touchdowns this morning. What an awful day to have that radar down Link to comment Share on other sites More sharing options...
Chinook Posted August 6, 2024 Share Posted August 6, 2024 confirmed tornado near Cleveland (Parma/Seven Hills) initial confirmed tornado warning was near the radar/CLE airport several minutes ago Link to comment Share on other sites More sharing options...
Floydbuster Posted August 6, 2024 Share Posted August 6, 2024 1 minute ago, Chinook said: confirmed tornado near Cleveland (Parma/Seven Hills) Thankfully that one seems to be weakening a bit, but the one offshore the lake looks nasty for areas east like Mentor. Link to comment Share on other sites More sharing options...
TheClimateChanger Posted August 6, 2024 Share Posted August 6, 2024 79 mph wind gust at Burke Lakefront Airport in Cleveland. Link to comment Share on other sites More sharing options...
TheClimateChanger Posted August 6, 2024 Share Posted August 6, 2024 Link to comment Share on other sites More sharing options...
OHweather Posted August 7, 2024 Share Posted August 7, 2024 More than half of Lake and Geauga Counties are still without power in NE Ohio, with outage numbers barely budging in Cuyahoga County since last evening (down slightly to a bit over 200k outages/38% out in the county). Impressive event with what will likely be a handful of confirmed tornadoes and widespread straight-line wind damage. Link to comment Share on other sites More sharing options...
Chicago Storm Posted August 7, 2024 Author Share Posted August 7, 2024 NWS offices have been putting the final touches on info regarding the July 14th and July 15th (Derecho) severe t'storm events in the area. For the severe t'storm event on July 14th, LOT and ILX have confirmed that 14 tornadoes occurred across their CWA's. (9 LOT & 5 ILX). Link to comment Share on other sites More sharing options...
IWXwx Posted August 7, 2024 Share Posted August 7, 2024 The Michigan tornado will be rated at least EF-1. This was just sent out by the IWX WCM: Our damage survey of St. Joseph is complete. We can confirm at least an EF-1 tornado from north of Lewis Lake at the county line, went southeast and ended on N Maine St. in Three Rivers. We will internally discuss amongst us at the office on rating and estimated wind speed, but it was at least on the upper end of an EF-1. Thank you for your patience and assistance. Somebody back at the office will release a PNS shortly containing much of the same info. It might be this evening before official path width/length and wind speed are released. Link to comment Share on other sites More sharing options...
Recommended Posts
Create an account or sign in to comment
You need to be a member in order to leave a comment
Create an account
Sign up for a new account in our community. It's easy!
Register a new accountSign in
Already have an account? Sign in here.
Sign In Now