Hvward Posted September 15, 2014 Share Posted September 15, 2014 Josh FB: 9:35 pm. We must be in inner eyewall. High-energy blasts of wind smashing building, finishing off doors. Violence. The mountain of furniture can't keep it out. Whoever said outer eyewall had the max winds was wrong-- inner *way* worse. Link to comment Share on other sites More sharing options...
hawkeye_wx Posted September 15, 2014 Share Posted September 15, 2014 Cabo is fortunate the eyewall replacement cycle didn't fully complete six hours ago. It's bad enough as is. Link to comment Share on other sites More sharing options...
Amped Posted September 15, 2014 Share Posted September 15, 2014 Cabo is fortunate the eyewall replacement cycle didn't fully complete six hours ago. It's bad enough as is. Agreed, Andrew had about the same pressure, however microwave shows the new eyewall maybe more intact than the IR would indicate. Edit: IR extrap shows the center and inner eyewall will probably make landfall. If it doesn't it will be within 3 miles. Link to comment Share on other sites More sharing options...
Windspeed Posted September 15, 2014 Share Posted September 15, 2014 Wow, Odile is really getting its act together right at landfall... Link to comment Share on other sites More sharing options...
Ginx snewx Posted September 15, 2014 Share Posted September 15, 2014 Direct hit on Cabo, not good Link to comment Share on other sites More sharing options...
Hvward Posted September 15, 2014 Share Posted September 15, 2014 Best updates we have: 10 pm. Ears popping. Front entrance completely destroyed. Debris blowing by opening at great speeds. Car alarms going off. Rain and wind enveloping lobby. Link to comment Share on other sites More sharing options...
Amped Posted September 15, 2014 Share Posted September 15, 2014 Direct hit on Cabo, not good Josh does it again, looks like he'll be in the exact center. Edit: hope Josh is safe, he's definitely not invincible, but close. Link to comment Share on other sites More sharing options...
NRVwxfan. Posted September 15, 2014 Share Posted September 15, 2014 Yet the Weather Channel is showing reality shows. Link to comment Share on other sites More sharing options...
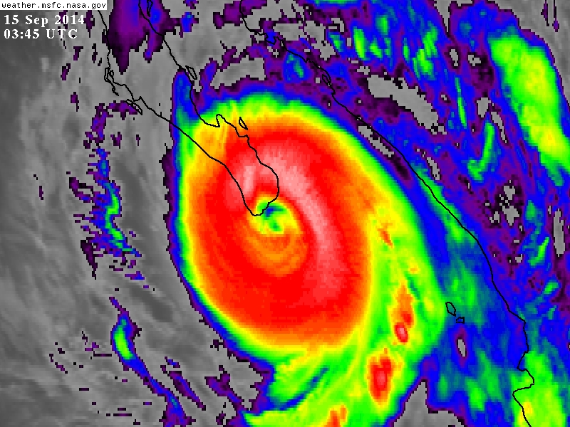
Windspeed Posted September 15, 2014 Share Posted September 15, 2014 Notice the intense banding of cloudtops on the eastern semi-circle cooling on IR. Unfortunately, Cabo may not have seen the worst yet. Looks as though the eastern eyewall is going to rake directly over the entire city. Winds will be directly out of the south and probably at their peak for the entire event. Link to comment Share on other sites More sharing options...
chase_stormz Posted September 15, 2014 Share Posted September 15, 2014 TWC has become a joke. This is a big story.. Link to comment Share on other sites More sharing options...
TalcottWx Posted September 15, 2014 Share Posted September 15, 2014 Idk not really surprised at all they aren't covering this on twc knowing their style Link to comment Share on other sites More sharing options...
Wannabehippie Posted September 15, 2014 Share Posted September 15, 2014 10:10. Sounds of trains going by, with whistling, Ears hurt from pressure. Large, thick plate-glass window just exploded-- didn't break, exploded. Interior walls vibrating. One of the worst cyclone I've ever been in. Frightening. Link to comment Share on other sites More sharing options...
Ginx snewx Posted September 15, 2014 Share Posted September 15, 2014 10:10. Sounds of trains going by, with whistling, Ears hurt from pressure. Large, thick plate-glass window just exploded-- didn't break, exploded. Interior walls vibrating. One of the worst cyclone I've ever been in. Frightening.not cool Link to comment Share on other sites More sharing options...
DopplerWx Posted September 15, 2014 Share Posted September 15, 2014 josh got odile as it was strengthening up to landfall, heck of a chase. hope he gets some great footage while staying as safe as possible. Link to comment Share on other sites More sharing options...
Amped Posted September 15, 2014 Share Posted September 15, 2014 Center on top of cabo now. (Extrapolated 20 minutes out) Link to comment Share on other sites More sharing options...
andyhb Posted September 15, 2014 Share Posted September 15, 2014 10:10. Sounds of trains going by, with whistling, Ears hurt from pressure. Large, thick plate-glass window just exploded-- didn't break, exploded. Interior walls vibrating. One of the worst cyclone I've ever been in. Frightening. This coming from someone who got crushed by one of the strongest TCs on record last year is ugly for Cabo San Lucas and the rest of the urban corridor there (San Jose del Cabo/etc.). Like Jova ramped up two notches. Link to comment Share on other sites More sharing options...
Wannabehippie Posted September 15, 2014 Share Posted September 15, 2014 I wonder how Josh is even able to get reports out in the conditions he is seeing/feeling Link to comment Share on other sites More sharing options...
hawkeye_wx Posted September 15, 2014 Share Posted September 15, 2014 The IR loop is pretty cool. The inner eye gradually eroded over the last several hours and the enhancement in the outer/new eyewall suddenly exploded at the last minute. The Cabo radar picked a bad day to be down. Link to comment Share on other sites More sharing options...
Hvward Posted September 15, 2014 Share Posted September 15, 2014 Link to comment Share on other sites More sharing options...
BuffaloWeather Posted September 15, 2014 Share Posted September 15, 2014 Center on top of cabo now. (Extrapolated 20 minutes out) Newbie here, but is that a double eyewall? How rare is that? What causes it? Thanks! Link to comment Share on other sites More sharing options...
NRVwxfan. Posted September 15, 2014 Share Posted September 15, 2014 10:10. Sounds of trains going by, with whistling, Ears hurt from pressure. Large, thick plate-glass window just exploded-- didn't break, exploded. Interior walls vibrating. One of the worst cyclone I've ever been in. Frightening. And this is coming from a guy that intercepted Yolanda last year. The description sounds like more like a direct tornado strike. Link to comment Share on other sites More sharing options...
Amped Posted September 15, 2014 Share Posted September 15, 2014 Newbie here, but is that a double eyewall? How rare is that? What causes it? Thanks! Google eyewall replacement cycle. Happens at some point with most intense hurricanes. A new eye outer forms and chokes off the inner one. Link to comment Share on other sites More sharing options...
Wannabehippie Posted September 15, 2014 Share Posted September 15, 2014 Newbie here, but is that a double eyewall? How rare is that? What causes it? Thanks! It appears that the inner eyewall collapsed prior to landfall, and the outer one is tightening, causing the cyclone to strengthen. It is not that rare in strong hurricanes as they under go eyewall replacement cycles. Link to comment Share on other sites More sharing options...
Yellow Evan Posted September 15, 2014 Share Posted September 15, 2014 Looks amazing. Impact-wise, this is like Jova but double I agree. And his last chase (that did not bust), he got the greatest TC of all time, so he's saying a lot. Link to comment Share on other sites More sharing options...
David Reimer Posted September 15, 2014 Share Posted September 15, 2014 Odile is a good example of the difference between a strengthening/organizing system at landfall verses a weakening one. Based on Josh's description it sounds like winds are easily mixing down where they may not necessarily have done so earlier today during the ERC. I hope they're measuring pressure! Link to comment Share on other sites More sharing options...
thewxmann Posted September 15, 2014 Share Posted September 15, 2014 Odile is a good example of the difference between a strengthening/organizing system at landfall verses a weakening one. Based on Josh's description it sounds like winds are easily mixing down where they may not necessarily have done so earlier today during the ERC. I hope they're measuring pressure! Agree. Frictional effects from land are tightening up the inner core and outer eyewall right at landfall. This is so different from the stronger but steady-state Haiyan last year. Link to comment Share on other sites More sharing options...
Amped Posted September 15, 2014 Share Posted September 15, 2014 A rapid surge or tsunami should hit western facing beaches when the winds shift. It is probably too dark for anyone to get good video of it. Link to comment Share on other sites More sharing options...
andyhb Posted September 15, 2014 Share Posted September 15, 2014 10:35 pm. It's calming. Yes, I thing calming, praise the Lord. Barometer just dipping down to 949 mb now. Dead center. Link to comment Share on other sites More sharing options...
andyhb Posted September 15, 2014 Share Posted September 15, 2014 San Jose del Cabo (pop nearly 70k) is in a bad spot with extended eyewall conditions given the storm's track. Link to comment Share on other sites More sharing options...
Disc Posted September 15, 2014 Share Posted September 15, 2014 Link to comment Share on other sites More sharing options...
Recommended Posts
Archived
This topic is now archived and is closed to further replies.