All Activity
- Past hour
-
-
It looks like a supercane. It does seem to be still wobbling west. It might spare the eastern part of the island. If it can push west just a little bit more it might spare most of the island.
-
I mean per the 5 pm track, it could track within (to the West side) the cone and the center could still miss landfall West of the island, so per the NHC it is well within the realm of possibility
-
That is a really good thing. The further west it goes, the less the key population areas like Kingston get hit - with wind and rain. Go West, young storm, go West.
-
Is there a chance this thing misses Jamaica? Like I know no model shows it and it would be an epic modeling fail of even more epic proportions but dang if this doesn’t keep dragging further west when everything has it riding N or NE now
-
They kept it at 175mph. However the discussion says the inbound aircraft might find Melissa stronger than 150kts.
-
They held it at 150kts for the 5pm.
-
Spooky Season (October Disco Thread)
mreaves replied to Prismshine Productions's topic in New England
-
Still moving due west for the most part.
-
My Goodness! What a collapse .........................
-
Latest Dvorak estimates are in the 165 to 170kts neighborhood. I bet we get 160kts at 5pm.
-
I believe Milton did as well when it peaked.
-
Correlation of extreme hurricanes, AGW, and solar cycles
Roger Smith replied to WolfStock1's topic in Climate Change
The anti-correlation idea may have come from 2004-05 which does not fit the theory. I noted in the hurricane Melissa discussion that 1780, a very bad year in the Caribbean, was also two years after a large solar peak in 1778, and the Long Island express (1938) while not a cat-5 was a year after a solar peak. Rather active years that came before a solar peak would include 1916, 1936, 1944 and 1998, as well as 2020. 1887 is closer to a solar minimum like 2004 and 2005. 1893 was a very active tropical year and there was a solar peak in 1893-94. The least active season in recent times, 1910, came at a solar minimum. I would include Andrew on the basis of the 1989 cycle peaking rather broadly from 1988 to 1991, the "1989" designation is only barely valid, and in fact also the 1968 peak had a very well defined secondary peak in 1972 (Agnes). Perhaps if there is a correlation, it is not because the solar conditions induce stronger hurricanes to form, but because some mechanism in the solar system peaks at that time and is responsible for these two different effects. Clearly it is not a necessary condition given the number of counter-examples. But it seems relatively robust over about twenty solar cycles, before 1780 we probably don't have enough data to form any conclusions. -
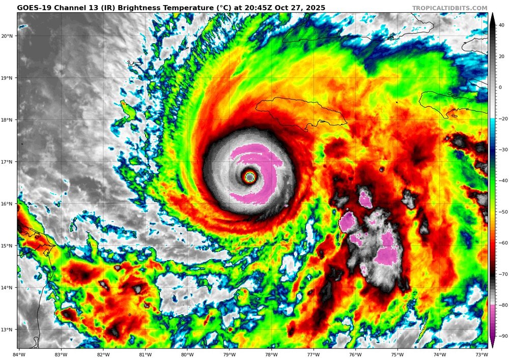
On a side note, -80C cloud tops or colder have now wrapped around the Eastern 2/3rds of the CDO. Hard to remember that happening before in the Atlantic. Only other example I can recall is Dorian at peak intensity.
-
Recon has taken off, should get some more data in a couple hours
-
E PA/NJ/DE Autumn 2025 Obs/Discussion
Hurricane Agnes replied to PhiEaglesfan712's topic in Philadelphia Region
The last 2 days I had lows of 40 and 40 and this morning's low was 41. The highs were 59, 60, but cooler (so far) today at 57. I expect cloud cover was in play over the weekend. It's currently mostly sunny and 56 with dp 33. And OMFG, Melissa was at 175 mph sustained at the 2 pm update. Waiting for the next update. -
The mean motion is more Westerly again. I think we’re seeing an example of an intense hurricane amplifying the ridging to its North. This of course is being counteracted by the trough building into the Southeast US and making for quite the battle. I fully expect the eventual hard turn but Melissa continues to track to the West of most guidance and the official track. Even these small shifts can have major implications regarding landfall location.
-
Spooky Season (October Disco Thread)
ineedsnow replied to Prismshine Productions's topic in New England
-
-
12z EC/AI/Google Deep mind are pretty deadset on SW Jamaica (Would put the mid-point near White House, Jamaica). I don't see much variance among them today. Seems to be the spot.
-
Par for the course. .
-
Imgoinhungry started following October Medium/Long Range Discussion
-
Melissa looks so incredibly mean on the satellite…..hope it doesn’t totally destroy the island.
-
Savanna-la-Mar was apparently destroyed by a major hurricane in 1780 (a 20 foot tidal surge), the worst season on record especially for the Caribbean. There were thousands killed in western Jamaica and at sea. And that was also a year on the downswing of a solar cycle (peak was 1778). Speaking of that, I would include Andrew (1992) because the 1989 peak had a secondary peak in 1991, and also Agnes (1972) fits because of a large secondary peak in 1972. One could also mention the 1938 New England Long Island express (solar cycle peaked 1937).
-
Yes, please do. Let's keep this thread focused on Hurricane Melissa.
