Disc Posted May 19, 2013 Share Posted May 19, 2013 Fallis, OK.. Link to comment Share on other sites More sharing options...
Superstorm93 Posted May 19, 2013 Share Posted May 19, 2013 Link to comment Share on other sites More sharing options...
wxsniss Posted May 19, 2013 Share Posted May 19, 2013 wow Link to comment Share on other sites More sharing options...
PennyForYourThoughts Posted May 19, 2013 Share Posted May 19, 2013 Damn those folks in Fallas are in huge danger...hope they are listening to their tv's. Link to comment Share on other sites More sharing options...
Thunder Road Posted May 19, 2013 Share Posted May 19, 2013 SCREENSHOTS PEOPLE. Link to comment Share on other sites More sharing options...
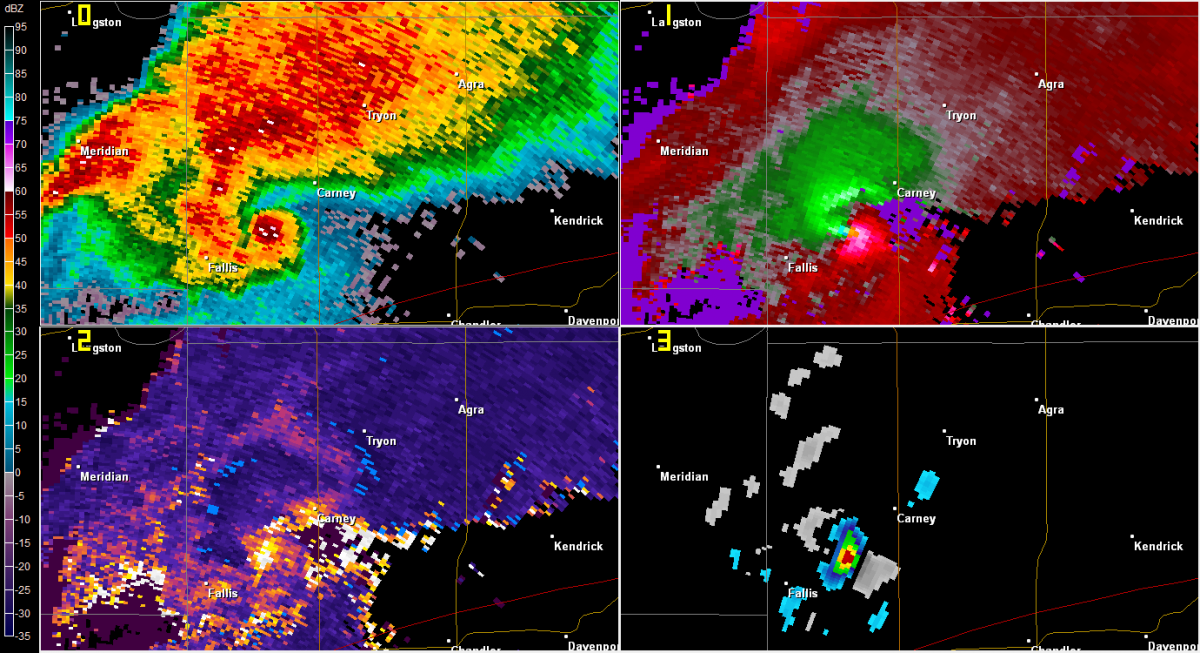
Superstorm93 Posted May 19, 2013 Share Posted May 19, 2013 Massive ZDR hole Link to comment Share on other sites More sharing options...
tornadotony Posted May 19, 2013 Share Posted May 19, 2013 170.9kt. Link to comment Share on other sites More sharing options...
Ensō Posted May 19, 2013 Share Posted May 19, 2013 Horrible. I really hope folks in Fallis and downstream of there are paying attention. Link to comment Share on other sites More sharing options...
Superstorm93 Posted May 19, 2013 Share Posted May 19, 2013 Max delta V approaching 200 mph Link to comment Share on other sites More sharing options...
Chinook Posted May 19, 2013 Share Posted May 19, 2013 screen capture from KFOR TV Link to comment Share on other sites More sharing options...
Ground Scouring Posted May 19, 2013 Share Posted May 19, 2013 Goldsby cell is organizing rapidly Link to comment Share on other sites More sharing options...
Disc Posted May 19, 2013 Share Posted May 19, 2013 Link to comment Share on other sites More sharing options...
Superstorm93 Posted May 19, 2013 Share Posted May 19, 2013 I'd be shocked if that wan't an EF4 Link to comment Share on other sites More sharing options...
Superstorm93 Posted May 19, 2013 Share Posted May 19, 2013 Link to comment Share on other sites More sharing options...
jrips27 Posted May 19, 2013 Share Posted May 19, 2013 That radar signature is unbelievable, and the video is just as incredible. Link to comment Share on other sites More sharing options...
Thrasher Fan Posted May 19, 2013 Share Posted May 19, 2013 this thing doesnt seem to be weakening anytime soon. folks in Tulsa need to keep their eyes open Link to comment Share on other sites More sharing options...
SquatchinNY Posted May 19, 2013 Share Posted May 19, 2013 Just compared it to 4-27-11 Link to comment Share on other sites More sharing options...
Geos Posted May 19, 2013 Share Posted May 19, 2013 KFOR saying 1 mile wide now. Link to comment Share on other sites More sharing options...
Superstorm93 Posted May 19, 2013 Share Posted May 19, 2013 Link to comment Share on other sites More sharing options...
Superstorm93 Posted May 19, 2013 Share Posted May 19, 2013 TDS extends to 32kft Link to comment Share on other sites More sharing options...
Four Seasons Posted May 19, 2013 Share Posted May 19, 2013 Jumping in from the Mid-Atlantic forum to say that I'm praying for everyone impacted by the tornado. Link to comment Share on other sites More sharing options...
tornadotony Posted May 19, 2013 Share Posted May 19, 2013 172 kt delta-v. Link to comment Share on other sites More sharing options...
yoda Posted May 19, 2013 Share Posted May 19, 2013 Carney is about to be greeted by a unwelcome visitor Link to comment Share on other sites More sharing options...
Ground Scouring Posted May 19, 2013 Share Posted May 19, 2013 Bad news: house reported "leveled" (Channel 9 caller report) Link to comment Share on other sites More sharing options...
andyhb Posted May 19, 2013 Share Posted May 19, 2013 Castor has major damage. Link to comment Share on other sites More sharing options...
greg ralls Posted May 19, 2013 Share Posted May 19, 2013 Thankfully, Fallis, Oklahoma is pretty much a ghost town with a population of 28 back in 2000. http://en.wikipedia.org/wiki/Fallis,_Oklahoma Link to comment Share on other sites More sharing options...
Superstorm93 Posted May 19, 2013 Share Posted May 19, 2013 Violent as ever Link to comment Share on other sites More sharing options...
westhope84 Posted May 19, 2013 Share Posted May 19, 2013 I live in Tulsa. The environment between this monster and Tulsa continues to be conducive for extremely powerful tornadoes, correct? No inhibiting factors? This may be a horrifying night for a lot of people in my neck of the woods. Link to comment Share on other sites More sharing options...
Superstorm93 Posted May 19, 2013 Share Posted May 19, 2013 MESOSCALE DISCUSSION 0706NWS STORM PREDICTION CENTER NORMAN OK0508 PM CDT SUN MAY 19 2013AREAS AFFECTED...CNTRL OKCONCERNING...TORNADO WATCH 182...VALID 192208Z - 192245ZTHE SEVERE WEATHER THREAT FOR TORNADO WATCH 182 CONTINUES.SUMMARY...HIGH-END LONG TRACK TORNADO WILL LIKELY CONTINUE NEWDALONG THE I-44 CORRIDOR FROM LINCOLN COUNTY AND EVENTUALLY THREATENCREEK COUNTY.DISCUSSION...KTLX RADAR STORM VELOCITY DATA SHOWS A HIGH CONFIDENCEINTENSE TORNADO MOVING INTO LINCOLN COUNTY OKLAHOMA WITH 0.5 DEGROTATIONAL VELOCITIES 80-90 KTS. THE PURCELL WIND PROFILE AND KTLXSHOW A SICKLE-SHAPE HODOGRAPH. GIVEN THE VERY BUOYANT AND MOISTBOUNDARY LAYER...STRONG TO POTENTIALLY VIOLENT TORNADOES MAYCONTINUE TO AFFECT CNTRL OK OVER THE NEXT FEW HOURS. AS THE STORMSFARTHER SOUTH MATURE...POTENTIALLY STRONG TORNADOES MAY EVENTUALLYEVOLVE FROM THOSE DISCRETE SUPERCELLS...SMITH.. 05/19/2013 Link to comment Share on other sites More sharing options...
Disc Posted May 19, 2013 Share Posted May 19, 2013 Link to comment Share on other sites More sharing options...
Recommended Posts
Archived
This topic is now archived and is closed to further replies.