All Activity
- Past hour
-
-
Mesovorticies rotating around the eyewall. it shouldn't be long until we start seeing pressure dropping like a rock.
- Today
-
120 at 2 am update.
-
Latest vortex message states the eyewall is square. This has only been seen in the strongest upper-echelon hurricanes.
-
Here's some heat content and isotherm depth maps as well. Melissa's core, despite being a slow-mover, has plenty of energy to tap prior to land interaction. Credit to RSMAS at Miami for maintaining these to the public.
-
This will be a great test to see how much cooling of the surface there is by 10/29. Here was the SST map as of 10/24: note the large area of 30-31C surrounding Jamaica, which is the warmest in the Atlantic basin:
-
Spooky Season (October Disco Thread)
WxWatcher007 replied to Prismshine Productions's topic in New England
Melissa going nuclear -
Fourteen hours between those two images is absolutely absurd. We kept harping that all forecast indicators were showing substantial decrease in wind shear to a near to pristine favorable upper environment. The system is now positioned right under an amplifying ULAC. Powder keg stuff. I think we'll see a Category 5 today.
-
Officially 959 mb from the dropsonde.
-
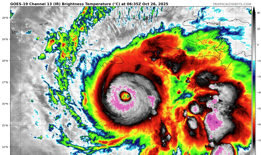
This is exceptionally rapid organization. 15z on 10/25 04z now, on 10/26
-
I mean, one has to imagine based on what we are seeing on latest imagery, pressure will be even lower on next pass.
-
Final recon pass until morning found 114 kts flight level and 959 mb extrap. This thing is barely moving.
-
Intense VHT is now going up in the NE eyewall. Obviously, we're in an ongoing rapid intensification phase. Expect some beefy pressure drops between now and Sunday afternoon with such an eyewall presentation on radar, which is getting more and more symmetrical each passing hour.
-
Mid to long range discussion- 2025
WinstonSalemArlington replied to wncsnow's topic in Southeastern States
-
Mid to long range discussion- 2025
WinstonSalemArlington replied to wncsnow's topic in Southeastern States
-
That is…wow…
-
Good lord. ~940mb by morning? Maybe even lower? Throw intensity guidance out the door, Melissa is about to go low
-
HOLY COW.
-
Bombs away with this microwave satellite presentation hot off the press. Very well organized inner core.
-
The same reason people get married.
-
Cold nov/dec = JanuBuried in DCA. Fixed. FebuBuried, too. No mercy. Morched, too.
-
Mid Atlantic will be digging a LOT of snow this winter. Bank on it.
-
I'll keep it 100 by admitting that yes we did get one last bit of the overall weather system tonight. Pretty good real heavy shower with thunder that was loud as hell. May have picked up a quick quarter inch. In a few days, massive cold front will smash into south central Texas bringing our very first official HIGHS in the 60s and lows near 40. Brrrrrrrr! It's gonnabe fun and refreshing! I might take a very slow painful jebwalk in it too. Left knee and foot's a birtch these days. Word to the wise: Too damn much jebwalking when you're young can end up like the Jebman at 61 lmao.
-
Right with you.
-
Satellite actually already looks stronger than the 11PM advisory, looks Cat 4ish. Wouldn't be surprised if it is at 2AM.
