All Activity
- Past hour
-
Spooky Season (October Disco Thread)
CoastalWx replied to Prismshine Productions's topic in New England
Both gfs and euro have fairly impressive west winds Friday night. -
1.66 so far. .
-
Spooky Season (October Disco Thread)
ineedsnow replied to Prismshine Productions's topic in New England
First frozen in my point and click.. high of 47 going to be hard to get zr with that temp Monday A chance of rain or freezing rain. Partly sunny, with a high near 47. Northwest wind 5 to 8 mph becoming southwest in the afternoon. Chance of precipitation is 40%. -
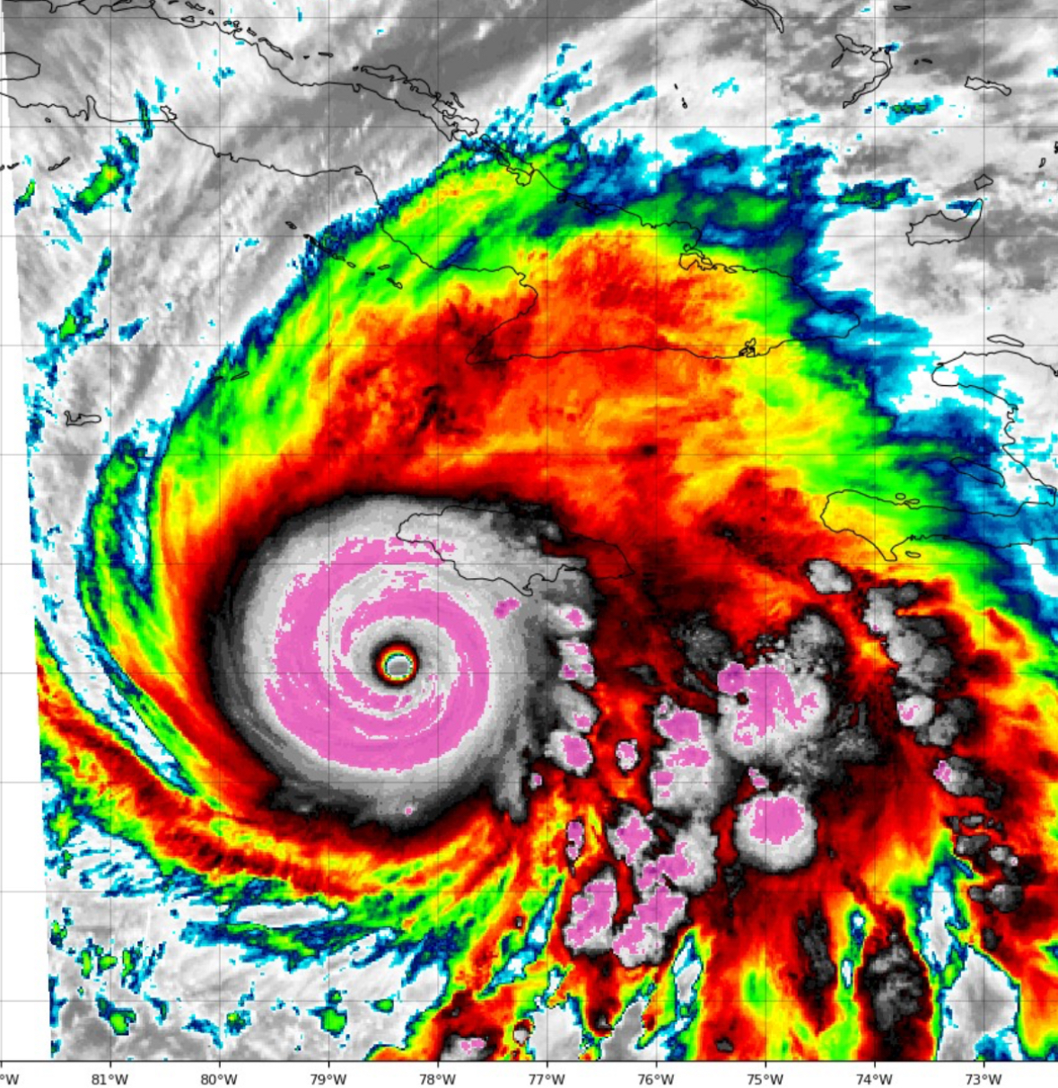
Major Hurricane Melissa - 903mb - 175mph
Coach McGuirk replied to GaWx's topic in Tropical Headquarters
901 MB, 175 MPH. - Today
-
Major Hurricane Melissa - 903mb - 175mph
Coach McGuirk replied to GaWx's topic in Tropical Headquarters
Bad ass cat 5. -
Major Hurricane Melissa - 903mb - 175mph
Normandy Ho replied to GaWx's topic in Tropical Headquarters
-
It doesn't matter where he initially set up. He'll go to where he thinks he will punch the core. He always does. I am pretty sure he's relocating west. As for point of landfall, population distribution and characteristics, I highly recommend reading this paper in the Geneva journal of risk management. https://www.researchgate.net/publication/348943501_Poverty_and_hurricane_risk_exposure_in_Jamaica I will post this image from the paper below. As you can see, we certainly aren't in any sort of best case scenario if the eye comes ashore further west. About the only positive I can see right now is timing of landfall occurring during daylight hours so people taking shelter can visually see what the hell is unfolding, because it's going to be shear chaos where this core crosses over.
-
I was beginning to wonder what would happen first - Melissa makes landfall or World Series game 3 ended.
-
Major Hurricane Melissa - 903mb - 175mph
Roger Smith replied to GaWx's topic in Tropical Headquarters
I was looking at some details of Jamaica's population and geography, would say if they have to take a hit from the core of this hurricane, the central third is perhaps less populated than the western third and certainly less than the eastern third. There is a central bisecting track that might spare Montego Bay, Negril and Savanna-la-Mar from worst case wind and surge damage, while keeping Kingston also out of the core. If it does go a bit further west and makes landfall around Savanna-la-Mar, unlike most of the south coast as well as west to northwest coasts, the land around there is very flat for miles inland. The town is on a peninsula that rarely rises above 5 metres asl. Negril is a bit more hilly and most of the town is well above surge limits (also the exposure is not as conducive to a major surge). There are parts of the south coast that are quite rugged and uninhabited, there are small towns across most of the inland south but the total population looks to be perhaps 5% of the total of Jamaica if the core were to take that track. The western third is a little hilly and the central third more so, but those higher Blue Mountains are all to the northeast of Kingston. I would not want to be anywhere near this monster storm but Josh does, anyone know where he chose to set up? -
At this point Melissa is gonna complete an ERC before this World Series game ends
-
Amazing game - bottom of the 17th now.
-
Yeah obviously last year was an anomaly of sorts. If we do see a mild November then we may be cooked for Winter. But im hedging on the optimistic side of things with us being in a weak enso state and a multitude of other factors.
-
Major Hurricane Melissa - 903mb - 175mph
WxWatcher007 replied to GaWx's topic in Tropical Headquarters
2:00 AM EDT Tue Oct 28Location: 16.8°N 78.4°WMoving: NNE at 2 mphMin pressure: 901 mbMax sustained: 175 mph -
ACE will likely exceed 122.5 by 18Z today.
-
Major Hurricane Melissa - 903mb - 175mph
Roger Smith replied to GaWx's topic in Tropical Headquarters
175 mph = 288 km/hr = 288,000 m/ hr = 200 m/sec = 100 m in half a second. Took Usain Bolt 9.6 seconds to run that far. -
2012 - major Atlantic Ocean hurricane close to Halloween a couple weeks later snowstorm wouldn't be surprising.........
-
There tends to be a little more variable outcomes with warmer Novembers than colder ones. Most warmer Novs that had cold/snowy winters to follow tended to be in the +1 to +1.5 range. Last year was a rare exception of Nov being +5 and we had a very cold January. Winter's truly greatest hits here though, were BN Novembers as a rule.
-
I noticed that, and the NHC may take that data into consideration on their next advisory if Melissa's satellite presentation doesn't degrade. The TC may have finally leveled off, however. It's going to be a while before we have the next recon data, and Melissa may be at peak now. Edit: This is all really just meteorological geekdom. A few more millibars make no difference at this point. The hurricane is already in rare territory.
-
Well let's hope this one is different because I do think that this November starts out cold but goes mild and may average out to above average in temps. But as we've all talked about these winter patterns tend to last 4 to 6 weeks so mild November, cold December, mild January and possibly cold February? Obviously the blocking is a crapshoot and there is no way of really forecasting that with any kind of accuracy. But I do like the PV in a constant weakened state and we've already seen that this Fall. Oh the joys of this hobby lol.
-
2025 Atlantic Hurricane Season
Windspeed replied to BarryStantonGBP's topic in Tropical Headquarters
Melissa has now pushed us above average seasonal ACE for the date (117.1 vs 113.7) and will most likely push the Atlantic above seasonal average of 122.5 for the year by the time it dissipates. Granted, if you would have told me going into the season that we would experience three Category 5 hurricanes and only be around annual average mean ACE, I'd have laughed you off of the forum. It's been a weird season. Interestingly, all other basins are currently below their seasonal ACE values for the date as well. Though I suspect the EPAC will probably pump out a few more TCs to get above its seasonal ACE values before all is said and done. -
It's not going to happen every time but looking back from the 1930s-2021ish it was about 60-65 percent of the time. Warm Novembers, more often than not, led to unremarkable winters, but not always. Cold Novembers went on to feature major outbreaks of winter weather at a higher than usual rate, but not always. 2013-14, and 2014-15 were both BN Novembers and both great winters (if you like snow/cold outbreaks). Nov 2015, 2016 were well AN and the winter of 16 was good but 17 was blah. Nov 2021 was well BN. 2022 was very cold/snowy, especially from my area and west across our forum region. I was -4 for Jan 2022 with 15+ inches of snow for the month. Going back, Nov 1995 was -4 here, Jan/Feb 96 were epic. Nov 1993 was -1.5, Jan featured heavy snow, ice, and -15 type temps, Nov 1984 was -3, Jan 85 was legendary, and Feb was great too, Nov 1976 was -9, Jan/Feb '77 were non-stop winter here, Nov 1967 was -3, Jan and Feb were both well BN, Feb -11. Nov 1959 was -2, snowiest winter in Tn history Jan-March '60. Almost every epic winter we've had in the last 70 years had a cold Nov, except three. Nov 2019 was cold, and winter 2019-20 was a dud, so a cold November isn't a lock, it's a noticeable lean though. There are generally more cases of a good winter following a warmer Nov than a dud following a cold November, at least imby.
-
Major Hurricane Melissa - 903mb - 175mph
WxSynopsisDavid replied to GaWx's topic in Tropical Headquarters
That 902mb measurement also had 22kt winds. That would make it 899mb. Really does suck that we don’t have a recon flight making another pass. -
I received 0.20” since last night bringing me to 2.75” MTD, which is only modestly below normal.
-
Major Hurricane Melissa - 903mb - 175mph
WxWatcher007 replied to GaWx's topic in Tropical Headquarters
Likely the last VDM of the night. The eye size has been remarkably consistent. Product: Air Force Vortex Message (URNT12 KNHC)Transmitted: 28th day of the month at 5:02ZAgency: United States Air ForceAircraft: Lockheed WC-130J Hercules with reg. number AF96-5301Storm Name: MelissaStorm Number & Year: 13 in 2025 (flight in the North Atlantic basin)Mission Number: 22Observation Number: 36 ( See all messages of this type for this mission. )A. Time of Center Fix: 28th day of the month at 4:36:00ZB. Center Fix Coordinates: 16.73N 78.49WB. Center Fix Location: 142 statute miles (229 km) to the SW (231°) from Kingston, Jamaica.C. Minimum Height at Standard Level: 2,236m (7,336ft) at 700mbD. Minimum Sea Level Pressure: 903mb (26.67 inHg)E. Dropsonde Surface Wind at Center: From 185° at 11kts (From the S at 13mph)F. Eye Character: ClosedG. Eye Shape & Diameter: Circular with a diameter of 10 nautical miles (12 statute miles)H. Estimated (by SFMR or visually) Maximum Surface Wind Inbound: 156kts (179.5mph)I. Location & Time of the Estimated Maximum Surface Wind Inbound: 4 nautical miles to the N (8°) of center fix at 4:34:30ZJ. Maximum Flight Level Wind Inbound: From 99° at 149kts (From the E at 171.5mph)K. Location & Time of the Maximum Flight Level Wind Inbound: 5 nautical miles to the N (6°) of center fix at 4:34:00ZL. Estimated (by SFMR or visually) Maximum Surface Wind Outbound: 157kts (180.7mph)M. Location & Time of the Estimated Maximum Surface Wind Outbound: 6 nautical miles to the SSE (150°) of center fix at 4:38:00ZN. Maximum Flight Level Wind Outbound: From 242° at 162kts (From the WSW at 186.4mph)O. Location & Time of the Maximum Flight Level Wind Outbound: 6 nautical miles to the SSE (150°) of center fix at 4:38:00ZP. Maximum Flight Level Temp & Pressure Altitude Outside Eye: 12°C (54°F) at a pressure alt. of 3,054m (10,020ft)Q. Maximum Flight Level Temp & Pressure Altitude Inside Eye: 23°C (73°F) at a pressure alt. of 3,058m (10,033ft)R. Dewpoint Temp (collected at same location as temp inside eye): 12°C (54°F)R. Sea Surface Temp (collected at same location as temp inside eye): Not AvailableS. Fix Determined By: Penetration, Radar, Wind, Pressure and TemperatureS. Fix Level: 700mbT. Navigational Fix Accuracy: 0.02 nautical milesT. Meteorological Accuracy: 1 nautical mileRemarks Section: Maximum Flight Level Wind: 165kts (~ 189.9mph) which was observed 7 nautical miles to the ENE (58°) from the flight level center at 3:47:00Z -
Major Hurricane Melissa - 903mb - 175mph
WxWatcher007 replied to GaWx's topic in Tropical Headquarters
Thought it had a chance but I guess it leveled out.
