JoMo Posted April 10, 2013 Share Posted April 10, 2013 I think there might be one on the ground based on CC. Hard to tell though in GRLevel 3. Link to comment Share on other sites More sharing options...
Superstorm93 Posted April 10, 2013 Share Posted April 10, 2013 Major debris signature on DP This could be bad. Link to comment Share on other sites More sharing options...
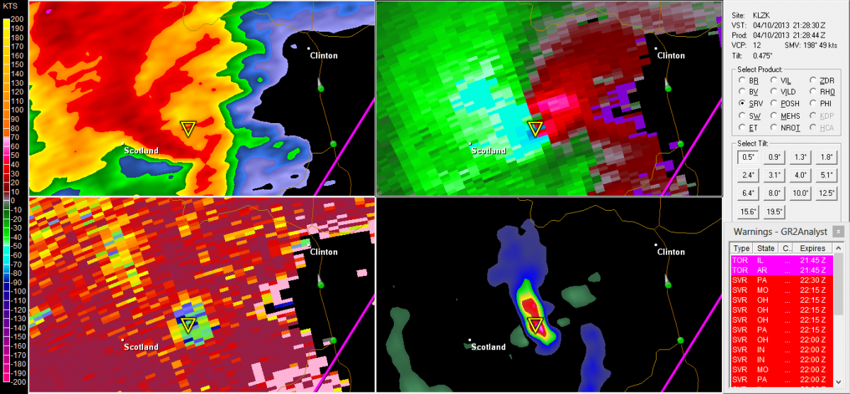
SmokeEater Posted April 10, 2013 Share Posted April 10, 2013 Probable TOG, debris sig on dual pol. Link to comment Share on other sites More sharing options...
Indystorm Posted April 10, 2013 Share Posted April 10, 2013 And the storm is parallel to and right on the edge of much stronger low and mid level helicity as it moves northeastward. Link to comment Share on other sites More sharing options...
Jon Posted April 10, 2013 Share Posted April 10, 2013 Major debris signature on DP This could be bad. TORRE.png Is this earth or GRL2? nvm, your next post answered my question. Also, looking at satellite imagery it couldn't have picked a better place to touch down it looks like...hopefully the only damage is to trees from this one. Link to comment Share on other sites More sharing options...
Superstorm93 Posted April 10, 2013 Share Posted April 10, 2013 CC cross section view Link to comment Share on other sites More sharing options...
FSMweather Posted April 10, 2013 Share Posted April 10, 2013 https://twitter.com/KATV_Weather Follow him for updates on the storm. He is posting roads that the tornado is passing on. Sounds like it is just to the west of the city of Clinton. Link to comment Share on other sites More sharing options...
icebreaker5221 Posted April 10, 2013 Share Posted April 10, 2013 Confirmed tornado on ground per warning update. Looks like latest velocities have come down a bit, though still strong. Hopefully this thing is weakening and doesn't pop another hook out ahead of the main precip shield. Link to comment Share on other sites More sharing options...
Superstorm93 Posted April 10, 2013 Share Posted April 10, 2013 Still a debris signature Bunch of new cells firing in MO now Link to comment Share on other sites More sharing options...
ArkieOkie Posted April 10, 2013 Share Posted April 10, 2013 Central Arkansas Radio Emergency Net reporting TOG crossing Hwy 65 north of Clinton. http://www.broadcastify.com/listen/feed/5167 Link to comment Share on other sites More sharing options...
SouthernNJ Posted April 10, 2013 Share Posted April 10, 2013 The main concern that I remember with Scotland AR is that storms are very difficult to see coming because of the terrain and the trees. Additionally, quite a few of the residents live in mobile homes, so I am hoping the TDS did not consist of such material. Link to comment Share on other sites More sharing options...
AgeeWx Posted April 10, 2013 Share Posted April 10, 2013 Brian Emfinger showing damage on his stream. ****. Link to comment Share on other sites More sharing options...
Superstorm93 Posted April 10, 2013 Share Posted April 10, 2013 Ugh...cell is about to cycle and *might* try and form a new hook Also, it appears that there was some damage in AR Link to comment Share on other sites More sharing options...
Superstorm93 Posted April 10, 2013 Share Posted April 10, 2013 PRELIMINARY LOCAL STORM REPORTNATIONAL WEATHER SERVICE LITTLE ROCK AR456 PM CDT WED APR 10 2013..TIME... ...EVENT... ...CITY LOCATION... ...LAT.LON.....DATE... ....MAG.... ..COUNTY LOCATION..ST.. ...SOURCE.... ..REMARKS..0445 PM TORNADO BOTKINBURG 35.70N 92.52W 04/10/2013 VAN BUREN AR LAW ENFORCEMENT A HOUSE WAS DESTROYED...AND 18 WHEELER FLIPPED OVER. Link to comment Share on other sites More sharing options...
FSMweather Posted April 10, 2013 Share Posted April 10, 2013 http://www.thv11.com/ Live stream. Heard reports on that stream of a house destroyed. New tornado warning just northwest of Hot Springs,AR Link to comment Share on other sites More sharing options...
SmokeEater Posted April 10, 2013 Share Posted April 10, 2013 Extensive damage being reported near Clinton, AR. Link to comment Share on other sites More sharing options...
Superstorm93 Posted April 10, 2013 Share Posted April 10, 2013 Hot Springs cell is starting to look really ominous on SRV Link to comment Share on other sites More sharing options...
Buckeye05 Posted April 10, 2013 Share Posted April 10, 2013 Sheesh. Went out for dinner and I guess **** hit the fan while I was gone. Looked really messy when I left too. Link to comment Share on other sites More sharing options...
AgeeWx Posted April 10, 2013 Share Posted April 10, 2013 Storm in Rolla, MO has a hook on it. Yikes. Link to comment Share on other sites More sharing options...
JoMo Posted April 10, 2013 Share Posted April 10, 2013 Ugh...cell is about to cycle and *might* try and form a new hook Also, it appears that there was some damage in AR The bad thing about that is it puts it more on track towards a more populated area (Mountain View) if it decides to drop a tornado. Link to comment Share on other sites More sharing options...
Superstorm93 Posted April 10, 2013 Share Posted April 10, 2013 50+ knot LLJ beginning to flex its muscles Link to comment Share on other sites More sharing options...
AgeeWx Posted April 10, 2013 Share Posted April 10, 2013 Mountain View storm is cycling again. Link to comment Share on other sites More sharing options...
SluggerWx Posted April 10, 2013 Share Posted April 10, 2013 The cells near Hillsboro, MO and Farmington, MO about to cross over into IL have the potential to really be dangerous. Link to comment Share on other sites More sharing options...
FSMweather Posted April 11, 2013 Share Posted April 11, 2013 Van Buren Co EMS reporting mass injuries near Botkinburg, AR. They asking for help from other EMS departments. https://www.facebook.com/TylerSouthard5newsMeteorologist Link to comment Share on other sites More sharing options...
andyhb Posted April 11, 2013 Share Posted April 11, 2013 SEARCH & RESCUE04/10/13 17:42(CLINTON - ) TORNADO STRIKE WITH HEAVY DAMAGE & INJURIES. [ARK003] Link to comment Share on other sites More sharing options...
Recommended Posts
Archived
This topic is now archived and is closed to further replies.