jojo762 Posted November 30, 2016 Share Posted November 30, 2016 Small supercell that just cross the LA/MS border north of Vicksburg could be one to watch if it matures and stays together. Link to comment Share on other sites More sharing options...
MattPetrulli Posted November 30, 2016 Share Posted November 30, 2016 Cell SW of Yazoo City looks potent. Link to comment Share on other sites More sharing options...
SmokeEater Posted November 30, 2016 Share Posted November 30, 2016 Watch coming for N AL. Link to comment Share on other sites More sharing options...
jojo762 Posted November 30, 2016 Share Posted November 30, 2016 Looks like KGWX is fixed, at least for now. Link to comment Share on other sites More sharing options...
Chinook Posted November 30, 2016 Share Posted November 30, 2016 But will GWX be hit by a tornado? Link to comment Share on other sites More sharing options...
Indystorm Posted November 30, 2016 Share Posted November 30, 2016 1 minute ago, SmokeEater said: Watch coming for N AL. I would certainly hope so. On their doorstep. Link to comment Share on other sites More sharing options...
SeanBarg Posted November 30, 2016 Share Posted November 30, 2016 Just now, jojo762 said: Looks like KGWX is fixed, at least for now. Yeah I was gonna say.. doesn't look like every storm is dropping persistent softballs anymore Link to comment Share on other sites More sharing options...
janetjanet998 Posted November 30, 2016 Share Posted November 30, 2016 SUMMARY THE THREAT OF TORNADOES AND DAMAGING WIND WILL PERSIST THROUGH TONIGHT ACROSS MUCH OF LOUISIANA...MISSISSIPPI...NORTHERN ALABAMA...AND SOUTHERN TENNESSEE. ISOLATED SEVERE STORMS MAY YET OCCUR TONIGHT ACROSS TENNESSEE INTO KENTUCKY. ..DISCUSSION A CLUSTER OF SUPERCELLS CONTINUES TO DEVELOP ACROSS MUCH OF NORTHERN MS...ASSOCIATED WITH A LIFTING WARM FRONT. THESE POTENTIALLY TORNADIC CELLS ARE NOW ENTERING NORTHERN AL. AREA SOUNDINGS AND VWP'S SHOW SIGNIFICANT LOW-LEVEL HODOGRAPH CURVATURE...AND SUFFICIENT MOISTURE AND INSTABILITY TO SUSTAIN ONGOING SUPERCELLS. THEREFORE...HAVE EXPANDED THE MODERATE AND ENHANCED RISK AREAS EASTWARD INTO NORTHERN AL. OTHER CELLS WERE FORMING ALONG THE DEVELOPING COLD FRONT OVER LA WITH ACCESS TO A VERY MOIST AIR MASS AND SIGNIFICANT SHEAR. THIS CORRIDOR OF CELLS IS EXPECTED TO EXPAND IN COVERAGE LATER THIS EVENING AND OVERNIGHT AS IT MOVES INTO MS. PARAMETERS SHOULD REMAIN FAVORABLE FOR DAMAGING WIND AND TORNADOES...ALTHOUGH SUPERCELLS MAY BECOME EMBEDDED IN MORE OF A LINE. STILL...DEGREE OF LOW-LEVEL SHEAR WOULD APPEAR TO SUPPORT A SIGNIFICANT TORNADO THREAT WITH THE STRONGEST STORMS. FARTHER NORTH INTO TN AND KY...CONDITIONS REMAIN STABLE AS OF 0100Z. HOWEVER...SOME DESTABILIZATION MAY OCCUR ESPECIALLY ACROSS TN LATER TONIGHT AS THE LOW-LEVEL JET WILL REMAIN STRONG...WITH AMPLE SHEAR TO CONDITIONALLY SUPPORT SEVERE STORMS. CONFIDENCE IS LESSER AT THIS TIME FOR ANY SEVERE WEATHER INTO KY GIVEN THE DEGREE OF STORM COVERAGE NOW ALONG THE WARM FRONT TO THE S. Link to comment Share on other sites More sharing options...
Indystorm Posted November 30, 2016 Share Posted November 30, 2016 Since it is still 73/70 at Alexandria LA with a rich influx of gulf moisture still moving northward we may have storms forming for quite some time with that LLJ. Wow. Still 15% hatched for tor into the night hours. Tim Marshall said if it was 10% tor in OK in May you chase. Link to comment Share on other sites More sharing options...
SmokeEater Posted November 30, 2016 Share Posted November 30, 2016 6 homes reported destroyed 5 E of Vernon. Link to comment Share on other sites More sharing options...
Amped Posted November 30, 2016 Share Posted November 30, 2016 Cape not as good in NW AL, The best tornado potential is still further southwest. Link to comment Share on other sites More sharing options...
janetjanet998 Posted November 30, 2016 Share Posted November 30, 2016 Things leveling off tornado warning wise....best storm over LA attm Link to comment Share on other sites More sharing options...
andyhb Posted November 30, 2016 Share Posted November 30, 2016 Stable layer at the surface evident in the 00z JAN sounding is probably the thing that has prevented more prolific tornado production thus far, and may continue to do so especially for cells further north/west. Link to comment Share on other sites More sharing options...
andyhb Posted November 30, 2016 Share Posted November 30, 2016 110+ kt GTG on the storm in Franklin County, AL (near Russellville) with a TDS. Link to comment Share on other sites More sharing options...
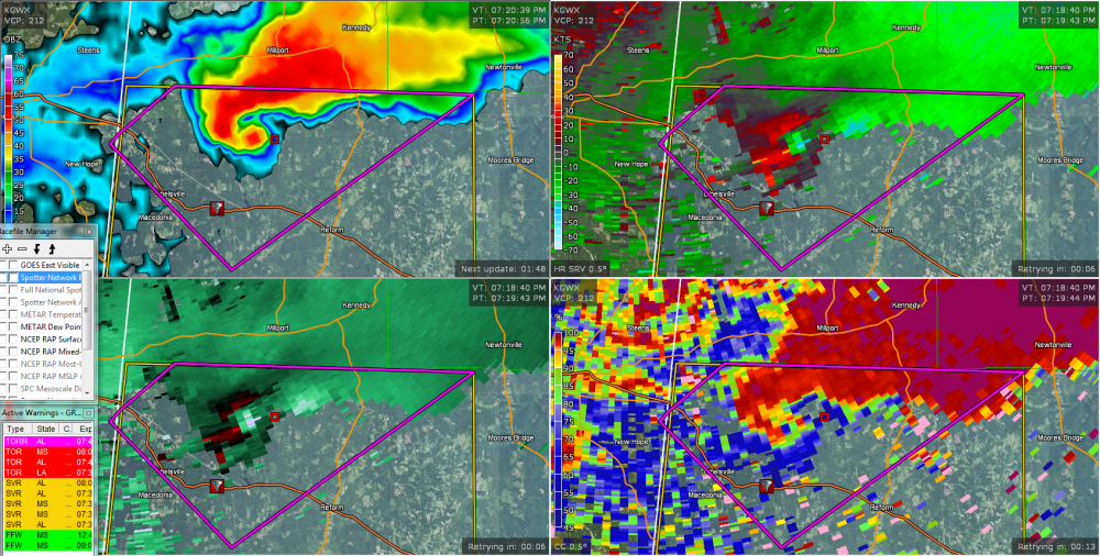
janetjanet998 Posted November 30, 2016 Share Posted November 30, 2016 E NATIONAL WEATHER SERVICE IN BIRMINGHAM HAS ISSUED A * TORNADO WARNING FOR... NORTHERN PICKENS COUNTY IN WEST CENTRAL ALABAMA... * UNTIL 745 PM CST * AT 716 PM CST...A CONFIRMED TORNADO WAS LOCATED NEAR ETHELSVILLE... OR 7 MILES SOUTHWEST OF MILLPORT...MOVING NORTHEAST AT 40 MPH. HAZARD...DAMAGING TORNADO. SOURCE...WEATHER SPOTTERS CONFIRMED TORNADO. Link to comment Share on other sites More sharing options...
weunice Posted November 30, 2016 Share Posted November 30, 2016 As a quick note, the 10% hatched tornado risk was also expanded south in Louisiana to include all of Baton Rouge, and most of Alexandria and Lafayette. The 15% hatched was edged south to include Jackson, Vicksburg and Philadelphia MS Link to comment Share on other sites More sharing options...
SmokeEater Posted November 30, 2016 Share Posted November 30, 2016 Storm south of Hamilton may need a TW soon too. Link to comment Share on other sites More sharing options...
jojo762 Posted November 30, 2016 Share Posted November 30, 2016 Debris ball on that Ethelsville, AL storm. Link to comment Share on other sites More sharing options...
SeanBarg Posted November 30, 2016 Share Posted November 30, 2016 Classic and scary looking cell Link to comment Share on other sites More sharing options...
janetjanet998 Posted November 30, 2016 Share Posted November 30, 2016 VERE WEATHER STATEMENT NATIONAL WEATHER SERVICE BIRMINGHAM AL 726 PM CST TUE NOV 29 2016 ALC107-300145- /O.CON.KBMX.TO.W.0026.000000T0000Z-161130T0145Z/ PICKENS AL- 726 PM CST TUE NOV 29 2016 ...A TORNADO WARNING REMAINS IN EFFECT UNTIL 745 PM CST FOR NORTHEASTERN PICKENS COUNTY... AT 725 PM CST...A CONFIRMED TORNADO WAS LOCATED OVER MILLPORT... MOVING NORTHEAST AT 40 MPH. HAZARD...DAMAGING TORNADO. SOURCE...WEATHER SPOTTERS CONFIRMED TORNADO. Link to comment Share on other sites More sharing options...
SmokeEater Posted November 30, 2016 Share Posted November 30, 2016 Power flashes reported east of Millport. Link to comment Share on other sites More sharing options...
janetjanet998 Posted November 30, 2016 Share Posted November 30, 2016 FAYETTE AL-LAMAR AL- 735 PM CST TUE NOV 29 2016 ...A TORNADO WARNING REMAINS IN EFFECT UNTIL 815 PM CST FOR SOUTHWESTERN FAYETTE AND SOUTHEASTERN LAMAR COUNTIES... AT 734 PM CST...A CONFIRMED TORNADO WAS LOCATED OVER KENNEDY...OR NEAR MILLPORT...MOVING NORTHEAST AT 40 MPH. HAZARD...DAMAGING TORNADO. SOURCE...WEATHER SPOTTERS CONFIRMED TORNADO. Link to comment Share on other sites More sharing options...
SmokeEater Posted November 30, 2016 Share Posted November 30, 2016 TDS just NW of Brilliant, AL. Link to comment Share on other sites More sharing options...
janetjanet998 Posted November 30, 2016 Share Posted November 30, 2016 .CON.KBMX.TO.W.0028.000000T0000Z-161130T0230Z/ WINSTON AL-MARION AL- 741 PM CST TUE NOV 29 2016 ...A TORNADO WARNING REMAINS IN EFFECT UNTIL 830 PM CST FOR NORTHWESTERN WINSTON AND EASTERN MARION COUNTIES... AT 740 PM CST...A CONFIRMED TORNADO WAS LOCATED NEAR LAKE BUTTAHATCHEE...OR 11 MILES NORTH OF WINFIELD...MOVING NORTHEAST AT 40 MPH. HAZARD...DAMAGING TORNADO. SOURCE...RADAR CONFIRMED TORNADO. Link to comment Share on other sites More sharing options...
janetjanet998 Posted November 30, 2016 Share Posted November 30, 2016 SEVERE WEATHER STATEMENT NATIONAL WEATHER SERVICE BIRMINGHAM AL 750 PM CST TUE NOV 29 2016 ALC093-133-300230- /O.CON.KBMX.TO.W.0028.000000T0000Z-161130T0230Z/ WINSTON AL-MARION AL- 750 PM CST TUE NOV 29 2016 ...A TORNADO WARNING REMAINS IN EFFECT UNTIL 830 PM CST FOR NORTHWESTERN WINSTON AND NORTHEASTERN MARION COUNTIES... AT 750 PM CST...A CONFIRMED TORNADO WAS LOCATED OVER LAKE BUTTAHATCHEE...OR 7 MILES SOUTHWEST OF HALEYVILLE...MOVING NORTHEAST AT 40 MPH. HAZARD...DAMAGING TORNADO. SOURCE...RADAR CONFIRMED TORNADO. Link to comment Share on other sites More sharing options...
SmokeEater Posted November 30, 2016 Share Posted November 30, 2016 New tornado watch coming to replace most of LA, MS and AL for the overnight hours. Talking about the nocturnal threat lasting well into the overnight, including significant tornadoes. Link to comment Share on other sites More sharing options...
janetjanet998 Posted November 30, 2016 Share Posted November 30, 2016 BULLETIN - EAS ACTIVATION REQUESTED TORNADO WARNING NATIONAL WEATHER SERVICE BIRMINGHAM AL 809 PM CST TUE NOV 29 2016 THE NATIONAL WEATHER SERVICE IN BIRMINGHAM HAS ISSUED A * TORNADO WARNING FOR... NORTHWESTERN WINSTON COUNTY IN NORTHWESTERN ALABAMA... * UNTIL 830 PM CST * AT 808 PM CST...A TORNADO PRODUCING STORM WAS LOCATED NEAR ASHRIDGE...OR NEAR HALEYVILLE...MOVING NORTHEAST AT 45 MPH. HAZARD...DAMAGING TORNADO. SOURCE...RADAR CONFIRMED TORNADO. Link to comment Share on other sites More sharing options...
janetjanet998 Posted November 30, 2016 Share Posted November 30, 2016 ALC133-300230- /O.CON.KBMX.TO.W.0028.000000T0000Z-161130T0230Z/ WINSTON AL- 812 PM CST TUE NOV 29 2016 ...A TORNADO WARNING REMAINS IN EFFECT UNTIL 830 PM CST FOR NORTHWESTERN WINSTON COUNTY... AT 811 PM CST...A CONFIRMED TORNADO WAS LOCATED NEAR MORELAND...OR 11 MILES NORTHWEST OF ARLEY...MOVING NORTHEAST AT 45 MPH. HAZARD...DAMAGING TORNADO. SOURCE...RADAR CONFIRMED TORNADO. Link to comment Share on other sites More sharing options...
janetjanet998 Posted November 30, 2016 Share Posted November 30, 2016 UMMARY...A NEW TORNADO WATCH IS FORTHCOMING. THE RISK FOR SEVERE THUNDERSTORMS WILL CONTINUE INTO THE OVERNIGHT HOURS...INCLUDING NOCTURNAL TORNADO POTENTIAL. SIGNIFICANT TORNADOES WILL BE POSSIBLE. DISCUSSION...RICH LOW-LEVEL MOISTURE CONTINUES TO STREAM NORTHWARD OVER A BROAD PORTION OF THE LOWER MS VALLEY...EXTENDING TO A CONVECTIVELY REINFORCED BOUNDARY ANALYZED FROM MIDDLE TN SOUTHWESTWARD THROUGH NORTHERN/CENTRAL MS AND INTO SOUTHWEST LA AND SOUTHEAST TX. LOWER 70S SURFACE DEWPOINTS ALREADY EXTEND NORTHWARD INTO CENTRAL MS. RADAR LOOPS CONTINUE TO INDICATE AN UPTICK IN SMALL BANDED CONVECTIVE STRUCTURES ACROSS SOUTHERN LA...WITH TRAINING SUPERCELLS ONGOING FROM NORTHEAST LA INTO NORTHEAST/EAST-CENTRAL MS AND INTO WESTERN AL. LARGE-SCALE ASCENT SHOULD REMAIN MODEST THROUGH THE OVERNIGHT HOURS. HOWEVER...THE RENEWED INFLUX OF RICH GULF MOISTURE AMIDST A PERSISTENT WARM-ADVECTION PATTERN -- AIDED BY A STRENGTHENING LOW-LEVEL JET -- WILL LIKELY SUPPORT FURTHER NOCTURNAL INCREASES IN CONVECTIVE COVERAGE AND INTENSITY. AMPLE BOUNDARY-LAYER MOISTURE WILL LIKELY SUPPORT MLCAPE HOLDING AROUND 500-1500 J/KG THROUGH THE OVERNIGHT HOURS...WITH MINIMAL MLCINH. FURTHERMORE...WITH THE LCH 00Z RAOB SAMPLING A 7.4-C/KM LAPSE RATE IN THE H7-H5 LAYER...MODERATELY STEEP MID-LEVEL LAPSE RATES WILL SPREAD ACROSS THE REGION IN SUPPORT OF ENHANCED...STORM-SCALE...UPWARD ACCELERATIONS. A MIX OF CONVECTIVE MODES...INCLUDING SUSTAINED SUPERCELL STRUCTURES... WILL LIKELY LAST WELL INTO THE OVERNIGHT HOURS...AIDED BY 50-65 KT OF EFFECTIVE SHEAR. FURTHERMORE...WITH EFFECTIVE SRH AROUND 200-400 M2/S2 SUPPORTED BY AMPLE LOW-LEVEL DIRECTIONAL/SPEED SHEAR... THERE WILL EXIST A TORNADO RISK THROUGH THE OVERNIGHT HOURS. A SIGNIFICANT-TORNADO RISK WILL EXIST...ESPECIALLY WITH THE MORE SUSTAINED SUPERCELLS. A NEW TORNADO WATCH WILL BE ISSUED FOR A BROAD PORTION OF THE LOWER MS VALLEY AND VICINITY TO ADDRESS THE TORNADO RISK LASTING THROUGH THE OVERNIGHT HOURS. Link to comment Share on other sites More sharing options...
janetjanet998 Posted November 30, 2016 Share Posted November 30, 2016 MSC087-300230- /O.CON.KJAN.TO.W.0067.000000T0000Z-161130T0230Z/ LOWNDES MS- 814 PM CST TUE NOV 29 2016 ...A TORNADO WARNING REMAINS IN EFFECT UNTIL 830 PM CST FOR SOUTHWESTERN LOWNDES COUNTY... AT 814 PM CST...A CONFIRMED TORNADO WAS LOCATED NEAR BENT OAK...OR 7 MILES SOUTHWEST OF COLUMBUS...MOVING NORTHEAST AT 40 MPH. HAZARD...DAMAGING TORNADO. SOURCE...RADAR CONFIRMED TORNADO. Link to comment Share on other sites More sharing options...
Recommended Posts
Archived
This topic is now archived and is closed to further replies.