Jump to content
  • Member Statistics

    18,641
    Total Members
    25,819
    Most Online
    Donut Hole
    Newest Member
    Donut Hole
    Joined

Severe Potential: April 26-27, 2015


1900hurricane

Recommended Posts

 
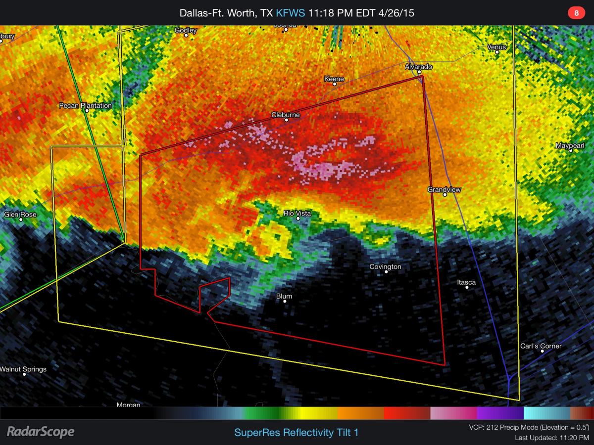
BULLETIN - EAS ACTIVATION REQUESTED  
TORNADO WARNING  
NATIONAL WEATHER SERVICE FORT WORTH TX  
1011 PM CDT SUN APR 26 2015  
 
THE NATIONAL WEATHER SERVICE IN FORT WORTH HAS ISSUED A  
 
* TORNADO WARNING FOR...  
  NORTHWESTERN HILL COUNTY IN CENTRAL TEXAS...  
  SOUTHERN JOHNSON COUNTY IN NORTH CENTRAL TEXAS...  
 
* UNTIL 1045 PM CDT  
 
* AT 1010 PM CDT...A CONFIRMED LARGE AND EXTREMELY DANGEROUS TORNADO  
  WAS LOCATED NEAR CLEBURNE STATE PARK...OR 9 MILES SOUTHWEST OF  
  CLEBURNE...MOVING EAST AT 20 MPH.  
 
  THIS IS A PARTICULARLY DANGEROUS SITUATION.   
 
  HAZARD...DAMAGING TORNADO.   
 
  SOURCE...WEATHER SPOTTERS CONFIRMED TORNADO.   
 
  IMPACT...YOU ARE IN A LIFE THREATENING SITUATION. FLYING DEBRIS   
           MAY BE DEADLY TO THOSE CAUGHT WITHOUT SHELTER. MOBILE   
           HOMES WILL BE DESTROYED. CONSIDERABLE DAMAGE TO   
           HOMES...BUSINESSES AND VEHICLES IS LIKELY AND COMPLETE   
           DESTRUCTION IS POSSIBLE.   
 
* THE TORNADO WILL BE NEAR...  
  BLUM AROUND 1025 PM CDT.  
  COVINGTON AROUND 1045 PM CDT.  
 

Link to comment
Share on other sites

  • Replies 277
  • Created
  • Last Reply

BULLETIN - EAS ACTIVATION REQUESTED  
TORNADO WARNING  
NATIONAL WEATHER SERVICE FORT WORTH TX  
1044 PM CDT SUN APR 26 2015  
 
THE NATIONAL WEATHER SERVICE IN FORT WORTH HAS ISSUED A  
 
* TORNADO WARNING FOR...  
  NORTHWESTERN HILL COUNTY IN CENTRAL TEXAS...  
  CENTRAL JOHNSON COUNTY IN NORTH CENTRAL TEXAS...  
 
* UNTIL 1130 PM CDT  
      
* AT 1044 PM CDT...A CONFIRMED LARGE AND EXTREMELY DANGEROUS TORNADO  
  WAS LOCATED NEAR COVINGTON...OR 8 MILES SOUTHEAST OF CLEBURNE...  
  MOVING EAST AT 10 MPH.  
 
  THIS IS A PARTICULARLY DANGEROUS SITUATION.   
 
  HAZARD...DAMAGING TORNADO.   
 
  SOURCE...RADAR CONFIRMED TORNADO.   
 
  IMPACT...YOU ARE IN A LIFE THREATENING SITUATION. FLYING DEBRIS   
           MAY BE DEADLY TO THOSE CAUGHT WITHOUT SHELTER. MOBILE   
           HOMES WILL BE DESTROYED. CONSIDERABLE DAMAGE TO   
           HOMES...BUSINESSES AND VEHICLES IS LIKELY AND COMPLETE   
           DESTRUCTION IS POSSIBLE.   
 
* THE TORNADO WILL BE NEAR...  
  COVINGTON AROUND 1105 PM CDT.  
  GRANDVIEW AROUND 1130 PM CDT.

Link to comment
Share on other sites

Archived

This topic is now archived and is closed to further replies.

  • Recently Browsing   0 members

    • No registered users viewing this page.

×
×
  • Create New...