k*** Posted February 2, 2011 Share Posted February 2, 2011 Link to comment Share on other sites More sharing options...
ackwaves Posted February 2, 2011 Share Posted February 2, 2011 kts or mph? Link to comment Share on other sites More sharing options...
am19psu Posted February 2, 2011 Share Posted February 2, 2011 kts or mph? km/hr Link to comment Share on other sites More sharing options...
k*** Posted February 2, 2011 Share Posted February 2, 2011 kts or mph? tops was a 76kt ten min average before the radar dome and anemometer crapped out Link to comment Share on other sites More sharing options...
ackwaves Posted February 2, 2011 Share Posted February 2, 2011 km/hr 'course. i should have known. thanks. Link to comment Share on other sites More sharing options...
ackwaves Posted February 2, 2011 Share Posted February 2, 2011 tops was a 76kt ten min average before the radar dome and anemometer crapped out just tuned in. was that the little island you guys were talking about? Link to comment Share on other sites More sharing options...
k*** Posted February 2, 2011 Share Posted February 2, 2011 'course. i should have known. thanks. 171 kts would've been the most amazing reading ever at sea level Link to comment Share on other sites More sharing options...
ackwaves Posted February 2, 2011 Share Posted February 2, 2011 171 kts would've been the most amazing reading ever at sea level Link to comment Share on other sites More sharing options...
ackwaves Posted February 2, 2011 Share Posted February 2, 2011 Hey Josh. How long till landfall? What time in EST Link to comment Share on other sites More sharing options...
HurricaneJosh Posted February 2, 2011 Author Share Posted February 2, 2011 The latest advice is out, which shows Cat 5 intensity through to landfall a little S of Innisfail at around 12 midnight local time-- or in ~13 hrs from now. The Technical Bulletin keeps the intensity at 922 mb/115 kt (10-min), but I'm suspecting that that might be for continuity's sake-- because the Remarks betray some doubts Re: the strength of the cyclone: Following a period of rapid intensification overnight to category 5 intensity, Yasi has possibly steadied in the past 6 hours. Dvorak intensity: Eye pattern that had been based on W surround [6.0]and OW/W eye [0.5] adjustment has weakened to an LG surround [5.0] and OW/W [0.5]. Nevertheless time averaged DT is 6.0 and MET also at 6.0. CI held at 6.5. Max winds estimated at 115 knots supported by AMSU/SATCON estimates at 125kn [1min], although Willis Island pressure observations suggest a slightly weaker system. The intensity is maintained through to landfall, given the environment of low shear and strong upper level outflow. The latest IR is about the same, I'd say. Link to comment Share on other sites More sharing options...
Scott747 Posted February 2, 2011 Share Posted February 2, 2011 ......... Link to comment Share on other sites More sharing options...
ackwaves Posted February 2, 2011 Share Posted February 2, 2011 The latest advice is out, which shows Cat 5 intensity through to landfall a little S of Innisfail at around 12 midnight local time-- or in ~13 hrs from now. The Technical Bulletin keeps the intensity at 922 mb/115 kt (10-min), but I'm suspecting that that might be for continuity's sake-- because the Remarks betray some doubts Re: the strength of the cyclone: Following a period of rapid intensification overnight to category 5 intensity, Yasi has possibly steadied in the past 6 hours. Dvorak intensity: Eye pattern that had been based on W surround [6.0]and OW/W eye [0.5] adjustment has weakened to an LG surround [5.0] and OW/W [0.5]. Nevertheless time averaged DT is 6.0 and MET also at 6.0. CI held at 6.5. Max winds estimated at 115 knots supported by AMSU/SATCON estimates at 125kn [1min], although Willis Island pressure observations suggest a slightly weaker system. The intensity is maintained through to landfall, given the environment of low shear and strong upper level outflow. The latest IR is about the same, I'd say. Thanks, Josh. looking forward to some chase reports this summer. cheers. Link to comment Share on other sites More sharing options...
Witness Protection Program Posted February 2, 2011 Share Posted February 2, 2011 Re: the warnings about impacts inland to Mt. Isa, that town is about 450 miles inland. For perspective, that is equivalent to Oklahoma City for a Houston hurricane or southern Kentucky for a Mississippi/Alabama landfall. Perhaps that giant bay to the north of Mt. Isa adds some fuel to prolong a hurricane there more than for a US gulf coast landfall? Link to comment Share on other sites More sharing options...
k*** Posted February 2, 2011 Share Posted February 2, 2011 Willis island hasn't reported in a while...the backside must have finished them off. Link to comment Share on other sites More sharing options...
Scott747 Posted February 2, 2011 Share Posted February 2, 2011 12.45pm Cyclonic winds will reach up to 300km/h and may rip off roofs. People in their homes are urged to take shelter in the smallest, strongest room in the house, such as the bathroom.12.44pm The premier warned of dangerous swells right down to the Sunshine Coast. Ms Bligh urged people to stay away from the surf as emergency services are needed elsewhere. 12.42pm The storm surge is expected to reach 6.5 to 7 metre above the highest tide in Cardwell. Townsville will have a 3 metre storm surge. Mandatory evacuations are in place. 12.38pm A number of large trees have already been taken out by strong winds ahead of the cyclone in Ayr, outside of Townsville. Some house have also lost power. 12.36pm Premier Anna Bligh says in a press conference the cyclone Yasi is now on track to cross land somewhere between Innisfail and Cardwell as a category 5. "The last category 5 to cross the coast of Queensland was in 1918," she said. The cyclone will be a category 3 when it reaches Georgetown at around 9am tomorrow. Link to comment Share on other sites More sharing options...
k*** Posted February 2, 2011 Share Posted February 2, 2011 Re: the warnings about impacts inland to Mt. Isa, that town is about 450 miles inland. For perspective, that is equivalent to Oklahoma City for a Houston hurricane or southern Kentucky for a Mississippi/Alabama landfall. Perhaps that giant bay to the north of Mt. Isa adds some fuel to prolong a hurricane there more than for a US gulf coast landfall? It's expected to be a remnant low that far inland. It's not really that atypical. Link to comment Share on other sites More sharing options...
HurricaneJosh Posted February 2, 2011 Author Share Posted February 2, 2011 I have to confess a touch of skepticism Re: the intensity. The lowest pressure on Willis Island was ~937 mb. That reading for this basin (which generally has lower pressures) plus the large size of the circulation plus the OK-but-not-amazing IR and MW presentations make me wonder if this is really a 130-kt cyclone. I definitely don't buy the 922 mb-- nor does the BoM, really. If you just presented me with these images and data, I think I would have said ~110 kt-- a strong Cat 3 (USA)-- perhaps higher if those dark greys can wrap around the center again and it can show a little more core symmetry. Just my two cents about it. Link to comment Share on other sites More sharing options...
k*** Posted February 2, 2011 Share Posted February 2, 2011 I have to confess a touch of skepticism Re: the intensity. The lowest pressure on Willis Island was ~937 mb. That reading for this basin (which generally has lower pressures) plus the large size of the circulation plus the OK-but-not-amazing IR and MW presentations make me wonder if this is really a 130-kt cyclone. I definitely don't buy the 922 mb-- nor does the BoM, really. If you just presented me with these images and data, I think I would have said ~110 kt-- a strong Cat 3 (USA)-- perhaps higher if those dark greys can wrap around the center again and it can show a little more core symmetry. Just my two cents about it. I think it was maybe like 932 or so...sort of like the bahamas Ike Link to comment Share on other sites More sharing options...
Ed Lizard Posted February 2, 2011 Share Posted February 2, 2011 More Josn p0rn... Link to comment Share on other sites More sharing options...
kwt Posted February 2, 2011 Share Posted February 2, 2011 Yeah Josh I just said the same thing on storm2k, I think this is a 110-120kts system with a classic big spread out system...a more organised Ike in other words that hasn't had its inner core torn to shreds like Ike had. I in no way think this is 130kts...that 937mbs pressure sorta backs up that view in light that this is a large system as well and Ike wasn't that far off those pressures and it was not even in the same league as 130kts. The presentation WAS amazinng for a few hours around 18z and hence why I thinkJWTC went so high, but has since been a little hit and miss with the eyewall coming close to opening up a few times, once again NOT a signal of a 130kts system. Then again that Vis.image above is immense...and looks stronger then 110-120kt! Ah stuff it will just have to wait and see what happens at landfall! Link to comment Share on other sites More sharing options...
Scott747 Posted February 2, 2011 Share Posted February 2, 2011 Link to comment Share on other sites More sharing options...
HurricaneJosh Posted February 2, 2011 Author Share Posted February 2, 2011 More Josn p0rn... WOw-- nice shot. That visible makes it look amazing-- but, then, visibles are always flattering, aren't they? Yeah Josh I just said the same thing on storm2k, I think this is a 110-120kts system with a classic big spread out system...a more organised Ike in other words that hasn't had its inner core torn to shreds like Ike had. I in no way think this is 130kts...that 937mbs pressure sorta backs up that view in light that this is a large system as well and Ike wasn't that far off those pressures and it was not even in the same league as 130kts. The presentation WAS amazinng for a few hours around 18z and hence why I thinkJWTC went so high, but has since been a little hit and miss with the eyewall coming close to opening up a few times, once again NOT a signal of a 130kts system. Then again that Vis.image above is immense...and looks stronger then 110-120kt! Ah stuff it will just have to wait and see what happens at landfall! Agreed. Link to comment Share on other sites More sharing options...
Coach McGuirk Posted February 2, 2011 Share Posted February 2, 2011 Are Australian cyclones typically so small? Link to comment Share on other sites More sharing options...
HurricaneJosh Posted February 2, 2011 Author Share Posted February 2, 2011 Are Australian cyclones typically so small? This one is very large-- by Atlantic or Pacific standards. Link to comment Share on other sites More sharing options...
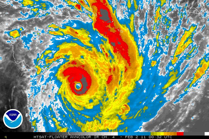
HurricaneJosh Posted February 2, 2011 Author Share Posted February 2, 2011 I'm going to bed, but here's the latest IR-- and I have to say, it looks like it's bouncing back again. It's looking rounder and more symmetric now-- less pinched: Link to comment Share on other sites More sharing options...
jrips27 Posted February 2, 2011 Share Posted February 2, 2011 Beginning to look better on IR. Tomorrow morning should be interesting. Link to comment Share on other sites More sharing options...
k*** Posted February 2, 2011 Share Posted February 2, 2011 yeah that latest IR is nice Link to comment Share on other sites More sharing options...
Scott747 Posted February 2, 2011 Share Posted February 2, 2011 Thirty minutes ago it was dead and buried. Starting to come into radar view - Link to comment Share on other sites More sharing options...
Coach McGuirk Posted February 2, 2011 Share Posted February 2, 2011 This one is very large-- by Atlantic or Pacific standards. Really? Every Australian cyclone always looks compact like and Andrew or a Charlie. Link to comment Share on other sites More sharing options...
k*** Posted February 2, 2011 Share Posted February 2, 2011 Really? Every Australian cyclone always looks compact like and Andrew or a Charlie. I'm glad a true expert on the basin has finally arrived! Welcome, Coach. Link to comment Share on other sites More sharing options...
Recommended Posts
Archived
This topic is now archived and is closed to further replies.