Jump to content
  • Member Statistics

    18,378
    Total Members
    7,904
    Most Online
    Scott Koziara
    Newest Member
    Scott Koziara
    Joined

Severe weather risk 3-28 and 3-29 2017


Recommended Posts

  • Replies 285
  • Created
  • Last Reply
1 minute ago, JasonOH said:

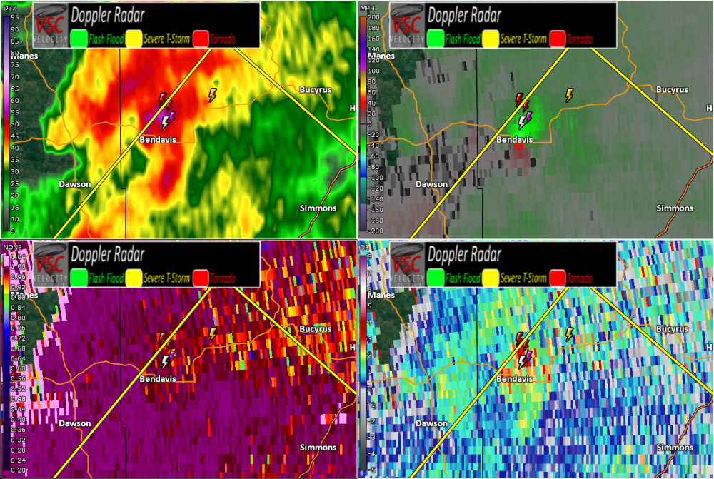
It's not a debris ball.  CC does not correlate with velocities and the CC drop is only in an area of low reflectivity, not high reflectivity. Since it's in an area of low reflectivity, it is ambiguous. I don't even think there has been a tornado on that storm in the last 20 mins. 

IMG_7527.JPG

IMG_7528.PNG

You're absolutely right. I should have looked closer at that area of low reflectivity and compared it to the "TDS" on CC.

Link to comment
Share on other sites

It's not a debris ball.  CC does not correlate with velocities and the CC drop is only in an area of low reflectivity, not high reflectivity. Since it's in an area of low reflectivity, it is ambiguous. I don't even think there has been a tornado on that storm in the last 20 mins. 

IMG_7527.thumb.JPG.7a9e37c6f77a6c92a9b7a11654849259.JPG

IMG_7528.thumb.PNG.5c6ef8ca12ca2122211c883790574621.PNG


There was a TDS with a strong couplet near Oakdale, NW of that one. Don't know if that's the one he meant.
Link to comment
Share on other sites

I'm driving from Joplin to Springfield. Currently in Carthage on I-44. Not even raining here but these posts have me seriously considering turning around and spending the night in Joplin. 

 

You should be fine, there's only a small non severe line in between you and Springfield.

Link to comment
Share on other sites

Archived

This topic is now archived and is closed to further replies.

  • Recently Browsing   0 members

    • No registered users viewing this page.

×
×
  • Create New...